Verkocht: Muilkerk 40, 4271 BL Dussen
Prijs op aanvraag
| Type object | Woonhuis, landhuis, vrijstaande woning |
|---|---|
| Woonoppervlakte | 350 m² |
| Status | Verkocht |
| Perceeloppervlakte | 10.635 m² |
|---|---|
| Aanvaarding | In overleg |
Beschrijving
Op een schitterende locatie in het buitengebied van Dussen staat deze vrijstaande woning met loods op een perceel van maar liefst ruim 10.000 m2. Een buitenkans voor mensen die wonen en werken willen combineren in een landelijke en groene omgeving. En een droom voor de paardenliefhebber: bij de woning behoort een loods die geschikt is voor agrarische doeleinden en voor het stallen van enkele paarden. Let op: het object heeft een Agrarische bestemming!
De woning, gebouwd in 2014, is energiezuinig en duurzaam en biedt een combinatie van comfort, luxe en veelzijdigheid. Ideaal voor wie veel ruimte zoekt, binnen én buiten, en graag in een landelijke omgeving woont met vrij uitzicht over de polder.
Verder beschikt de woning over een bijzondere en veelzijdige indeling met 2 afzonderlijke woongedeeltes, wat deze woning uitermate geschikt maakt voor bijvoorbeeld dubbele bewoning, mantelzorg of werken aan huis en door het ruime perceel met schuur ook ideaal voor diverse doeleinden.
Dussen is een gemoedelijk dorp in de gemeente Altena en is vooral bekend het 14e-eeuwse Kasteel Dussen, een historisch kasteel met een slotgracht en opvallende torens dat dienstdoet als trouwlocatie en culturele hotspot. Verder heb je er het aangrenzende natuurgebied De Kornse Boezem en ligt het nabij de Bergsche Maas. Ondanks de rustige ligging is Dussen verrassend goed bereikbaar. Via de nabijgelegen A27 en A59 ben je snel onderweg richting de steden als Breda, Gorinchem, Utrecht en Den Bosch.
Zie jij jezelf hier al wonen? Maak vandaag nog een afspraak om deze buitenkans te bezichtigen!
Indeling
Begane grond
Bij binnenkomst valt direct de vide in de centrale hal op, een schitterende doorkijk naar de bovenverdieping die het gevoel van ruimte versterkt.
Via deze hal, gelegen in het midden van de woning, zijn beide woongedeeltes bereikbaar. Zowel aan de linker- als de rechterzijde bevindt zich een ruime woonkamer, ieder met een eigen karakter en indeling. De woonkamer aan de linkerzijde heeft een gezellige gaskachel. De open keuken beschikt over een schiereiland en heeft een wandopstelling met diverse keukenapparatuur en kastruimte. Vanuit deze woonkamer is er directe toegang tot een slaapkamer met badkamer ensuite voorzien van ligbad, aparte douchegelegenheid, wastafel met meubel en toilet.
Ook in de woonkamer aan de rechterzijde zorgt een gezellige kachel voor extra warmte en sfeer. De keuken heeft een eiland, ideaal als extra werkruimte, ontbijtplek of om gezellig contact te houden met de woonkamer. Deze keuken is van alle gemakken voorzien en biedt directe toegang tot de tuin.
Vanuit de gang is er toegang tot een tweede slaapkamer, welke momenteel in gebruik is als praktijkruimte. Daarnaast bevinden zich vanuit de gang nog 2 separate toiletten wat extra comfort biedt voor zowel bewoners als gasten. Ook is er een aparte ruimte voor witgoed.
Eerste verdieping
Op de eerste verdieping bevinden zich maar liefst 6 slaapkamers wat deze woning uitermate geschikt maakt voor grote gezinnen of het creëren van werk- en hobbyruimtes. De badkamer is praktisch en compleet ingericht en heeft een ruime wastafel aan een losse wand in het midden van de badkamer met aan de achterzijde van deze wand een douche en toilet. Ook is er een ligbad wat ideaal is voor ontspanning en extra comfort. Een tweede separaat toilet biedt extra comfort evenals ingebouwde kastruimte.
Zolder
Via een vlizotrap is de zolder bereikbaar. Ideaal voor het opbergen van spullen.
Loods
Op het perceel bevindt zich een loods met een afmeting van 30,00m x 18,00m, welke nu wordt gebruikt voor opslag/stalling van materiaal en het stallen van paarden. In de loods is elektra en water aanwezig. De stalenspanten hebben een vrij overspanning, de gevels van de loods zijn bekleed met gevelbeplating evenals het dak. De vloer is deels beton en deels beton klinkers.
Erf/terrein/tuin
De woning is bereikbaar via een lange oprijlaan en wordt omgeven door een riante voortuin met gazon. Aan de zijkant van de woning ligt een terras waar je in alle rust kunt genieten van het buitenleven. Het geheel wordt compleet gemaakt door een paardenrijbak en een ruim perceel grond waar volop ruimte is voor het houden van paarden.
Kenmerken:
Bouwjaar: 2014
Inhoud: 1395 m³
Perceeloppervlakte: 10.635 m²
Woonoppervlakte: 350 m²
Voorzieningen: water, elektriciteit, telefonie, glasvezel, riolering
Verwarming: CV-ketel
Isolatie: Volledig geïsoleerd.
Energielabel: A.
Groepenkast: De groepenkast is afgezekerd met 16 groepen 16A en 4 aardlekschakelaars en een krachtstroomgroep.
Vigerende bestemming: Agrarisch
Aanvaarding en oplevering in overleg.
Volgens het vigerende bestemmingsplan heeft het object de bestemming ‘Agrarisch’.
Van de koper wordt een waarborgsom of bankgarantie gevraagd van 10% van de koopsom, binnen 5 weken na het ondertekenen van de koopovereenkomst.
De door Pullen Makelaardij o.g. verstrekte informatie dient uitsluitend te worden gezien als een uitnodiging tot nadere informatie, bezichtiging of het uitbrengen van een bod. Wijzigingen in uitvoering voorbehouden. Aan onvolkomenheden in de vermelde gegevens en schaal kunnen geen rechten worden ontleend.
De woning, gebouwd in 2014, is energiezuinig en duurzaam en biedt een combinatie van comfort, luxe en veelzijdigheid. Ideaal voor wie veel ruimte zoekt, binnen én buiten, en graag in een landelijke omgeving woont met vrij uitzicht over de polder.
Verder beschikt de woning over een bijzondere en veelzijdige indeling met 2 afzonderlijke woongedeeltes, wat deze woning uitermate geschikt maakt voor bijvoorbeeld dubbele bewoning, mantelzorg of werken aan huis en door het ruime perceel met schuur ook ideaal voor diverse doeleinden.
Dussen is een gemoedelijk dorp in de gemeente Altena en is vooral bekend het 14e-eeuwse Kasteel Dussen, een historisch kasteel met een slotgracht en opvallende torens dat dienstdoet als trouwlocatie en culturele hotspot. Verder heb je er het aangrenzende natuurgebied De Kornse Boezem en ligt het nabij de Bergsche Maas. Ondanks de rustige ligging is Dussen verrassend goed bereikbaar. Via de nabijgelegen A27 en A59 ben je snel onderweg richting de steden als Breda, Gorinchem, Utrecht en Den Bosch.
Zie jij jezelf hier al wonen? Maak vandaag nog een afspraak om deze buitenkans te bezichtigen!
Indeling
Begane grond
Bij binnenkomst valt direct de vide in de centrale hal op, een schitterende doorkijk naar de bovenverdieping die het gevoel van ruimte versterkt.
Via deze hal, gelegen in het midden van de woning, zijn beide woongedeeltes bereikbaar. Zowel aan de linker- als de rechterzijde bevindt zich een ruime woonkamer, ieder met een eigen karakter en indeling. De woonkamer aan de linkerzijde heeft een gezellige gaskachel. De open keuken beschikt over een schiereiland en heeft een wandopstelling met diverse keukenapparatuur en kastruimte. Vanuit deze woonkamer is er directe toegang tot een slaapkamer met badkamer ensuite voorzien van ligbad, aparte douchegelegenheid, wastafel met meubel en toilet.
Ook in de woonkamer aan de rechterzijde zorgt een gezellige kachel voor extra warmte en sfeer. De keuken heeft een eiland, ideaal als extra werkruimte, ontbijtplek of om gezellig contact te houden met de woonkamer. Deze keuken is van alle gemakken voorzien en biedt directe toegang tot de tuin.
Vanuit de gang is er toegang tot een tweede slaapkamer, welke momenteel in gebruik is als praktijkruimte. Daarnaast bevinden zich vanuit de gang nog 2 separate toiletten wat extra comfort biedt voor zowel bewoners als gasten. Ook is er een aparte ruimte voor witgoed.
Eerste verdieping
Op de eerste verdieping bevinden zich maar liefst 6 slaapkamers wat deze woning uitermate geschikt maakt voor grote gezinnen of het creëren van werk- en hobbyruimtes. De badkamer is praktisch en compleet ingericht en heeft een ruime wastafel aan een losse wand in het midden van de badkamer met aan de achterzijde van deze wand een douche en toilet. Ook is er een ligbad wat ideaal is voor ontspanning en extra comfort. Een tweede separaat toilet biedt extra comfort evenals ingebouwde kastruimte.
Zolder
Via een vlizotrap is de zolder bereikbaar. Ideaal voor het opbergen van spullen.
Loods
Op het perceel bevindt zich een loods met een afmeting van 30,00m x 18,00m, welke nu wordt gebruikt voor opslag/stalling van materiaal en het stallen van paarden. In de loods is elektra en water aanwezig. De stalenspanten hebben een vrij overspanning, de gevels van de loods zijn bekleed met gevelbeplating evenals het dak. De vloer is deels beton en deels beton klinkers.
Erf/terrein/tuin
De woning is bereikbaar via een lange oprijlaan en wordt omgeven door een riante voortuin met gazon. Aan de zijkant van de woning ligt een terras waar je in alle rust kunt genieten van het buitenleven. Het geheel wordt compleet gemaakt door een paardenrijbak en een ruim perceel grond waar volop ruimte is voor het houden van paarden.
Kenmerken:
Bouwjaar: 2014
Inhoud: 1395 m³
Perceeloppervlakte: 10.635 m²
Woonoppervlakte: 350 m²
Voorzieningen: water, elektriciteit, telefonie, glasvezel, riolering
Verwarming: CV-ketel
Isolatie: Volledig geïsoleerd.
Energielabel: A.
Groepenkast: De groepenkast is afgezekerd met 16 groepen 16A en 4 aardlekschakelaars en een krachtstroomgroep.
Vigerende bestemming: Agrarisch
Aanvaarding en oplevering in overleg.
Volgens het vigerende bestemmingsplan heeft het object de bestemming ‘Agrarisch’.
Van de koper wordt een waarborgsom of bankgarantie gevraagd van 10% van de koopsom, binnen 5 weken na het ondertekenen van de koopovereenkomst.
De door Pullen Makelaardij o.g. verstrekte informatie dient uitsluitend te worden gezien als een uitnodiging tot nadere informatie, bezichtiging of het uitbrengen van een bod. Wijzigingen in uitvoering voorbehouden. Aan onvolkomenheden in de vermelde gegevens en schaal kunnen geen rechten worden ontleend.
Kenmerken
| Overdracht | |
|---|---|
| Referentienummer | VGP3000493 |
| Prijs | Prijs op aanvraag |
| Inrichting | Niet gestoffeerd |
| Inrichting | Niet gemeubileerd |
| Status | Verkocht |
| Aanvaarding | In overleg |
| Laatste wijziging | Vrijdag 3 april 2026 |
| Bouw | |
|---|---|
| Type object | Woonhuis, landhuis, vrijstaande woning |
| Soort bouw | Bestaande bouw |
| Toegankelijkheid | Mindervaliden Senioren |
| Bouwperiode | 2014 |
| Dakbedekking | Dakpannen Keramisch |
| Type dak | Samengesteld |
| Isolatievormen | Dubbel glas HR-glas Spouwmuren Volledig geïsoleerd |
| Oppervlaktes en inhoud | |
|---|---|
| Perceeloppervlakte | 10.635 m² |
| Woonoppervlakte | 350 m² |
| Inhoud | 1.395 m³ |
| Oppervlakte overige inpandige ruimten | 26 m² |
| Oppervlakte externe bergruimte | 540 m² |
| Indeling | |
|---|---|
| Aantal bouwlagen | 3 |
| Aantal kamers | 10 (waarvan 8 slaapkamers) |
| Aantal badkamers | 2 (en 1 apart toilet) |
| Locatie | |
|---|---|
| Ligging | Aan rustige weg Open ligging Platteland Vrij uitzicht |
| Tuin | |
|---|---|
| Type | Tuin rondom |
| Hoofdtuin | Ja |
| Oriëntering | Zuiden |
| Heeft een achterom | Ja |
| Staat | Normaal |
| Energieverbruik | |
|---|---|
| Energielabel | A |
| CV ketel | |
|---|---|
| CV ketel | Nefit |
| Warmtebron | Gas |
| Bouwjaar | 2013 |
| Combiketel | Ja |
| Eigendom | Eigendom |
| Uitrusting | |
|---|---|
| Aantal parkeerplaatsen | 6 |
| Aantal overdekte parkeerplaatsen | 3 |
| Warm water | CV-ketel |
| Verwarmingssysteem | Centrale verwarming Vloerverwarming |
| Ventilatie methode | Balansventilatie |
| Glasvezelaansluiting aanwezig | Ja |
| Tuin aanwezig | Ja |
| Heeft zonwering | Ja |
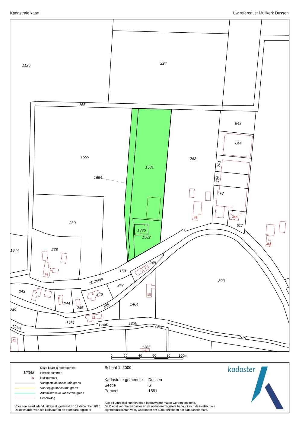
| Kadastrale gegevens | |
|---|---|
| Kadastrale aanduiding | Dussen S 1335 |
| Perceeloppervlakte | 290 m² |
| Omvang | Geheel perceel |
| Eigendomsituatie | Eigen grond |
| Kadastrale aanduiding | Dussen s 1582 |
| Perceeloppervlakte | 1.355 m² |
| Omvang | Geheel perceel |
| Eigendomsituatie | Eigen grond |
| Kadastrale aanduiding | Dussen S 1581 |
| Perceeloppervlakte | 7.545 m² |
| Omvang | Geheel perceel |
| Eigendomsituatie | Eigen grond |
| Kadastrale aanduiding | Dussen S 1654 |
| Perceeloppervlakte | 1.445 m² |
| Omvang | Geheel perceel |
| Eigendomsituatie | Eigen grond |