Te koop: Wildingsteeg, 6004 SP Weert
€ 30.000,- k.k.
| Type object | Losse grond |
|---|
Beschrijving
Hierbij bieden wij u een perceel cultuurgrond aan, groot 00.22.65 ha. Het perceel is gelegen aan een onverharde weg 'Wildingsteeg', in het buitengebied van Weert, maar tevens op korte aftand van het buurtschap ‘Leuken’. Het betreft een langgerekt perceel welke momenteel als paardenweide wordt gebruikt.
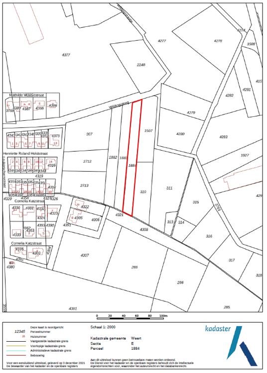
Kadastrale situatie
Weert, sectie E, nummer 1884, groot ca. 00.22.65 ha
Bestemmingsplan
Het perceel is gelegen binnen het bestemmingsplan “Buitengebied 2011” van de Gemeente Weert, welke vastgesteld is per 26-06-2013.
Het perceel heeft de enkelbestemming: 'Agrarisch”, de dubbelbestemming “Waarde – Archeologie hoog” en de gebiedsaanduiding “reconstructiewetzone – verwevingsgebied”.
Bodem en gebruik
De grondsoort betreft zandgrond. Het betreft een (deel van) een paardenweide, zodanig het ook al jaren in gebruik is.
Aanvaarding
In overleg
Vraagprijs
€ 30.000,00 k.k.
Voor meer informatie kunt u contact opnemen met:
Timon Dols (makelaar)
t: 06-51225838
e: tdols@arvalis.nl
Arvalis kantoor Roermond
Steegstraat 5
6041 EA ROERMOND
t: 0475-355700
Kadastrale situatie
Weert, sectie E, nummer 1884, groot ca. 00.22.65 ha
Bestemmingsplan
Het perceel is gelegen binnen het bestemmingsplan “Buitengebied 2011” van de Gemeente Weert, welke vastgesteld is per 26-06-2013.
Het perceel heeft de enkelbestemming: 'Agrarisch”, de dubbelbestemming “Waarde – Archeologie hoog” en de gebiedsaanduiding “reconstructiewetzone – verwevingsgebied”.
Bodem en gebruik
De grondsoort betreft zandgrond. Het betreft een (deel van) een paardenweide, zodanig het ook al jaren in gebruik is.
Aanvaarding
In overleg
Vraagprijs
€ 30.000,00 k.k.
Voor meer informatie kunt u contact opnemen met:
Timon Dols (makelaar)
t: 06-51225838
e: tdols@arvalis.nl
Arvalis kantoor Roermond
Steegstraat 5
6041 EA ROERMOND
t: 0475-355700
Kenmerken
| Overdracht | |
|---|---|
| Referentienummer | 68059/35907 |
| Vraagprijs | € 30.000,- k.k. |
| Bouw | |
|---|---|
| Type object | Losse grond |
| Soort bouw | Bestaande bouw |