Te koop: Kendelweg, 5853 EL Siebengewald
| Type object | Losse grond |
|---|
| Status | Nieuw in verkoop |
|---|
Beschrijving
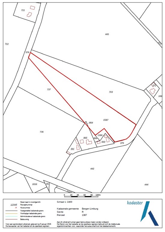
U wordt aangeboden een perceel cultuurgrond in Siebengewald. Het perceel is gelegen tussen de Flieraijseweg en de Kendelweg. Vanuit de verharde Kendelweg is de locatie zeer goed bereikbaar.
Het perceel heeft een langgerekt, taps toelopende vorm. De afgelopen jaren is het perceel deels ingezaaid geweest met een agrarisch natuurmengsel en deels als (tijdelijk) grasland.
De bodem bestaat uit lichte zavel, geschikt voor de teelt van diverse akkerbouwgewassen.
Kadastrale situatie:
Gemeente Bergen Limburg, sectie R, nummer 864
Gemeente Bergen Limburg, sectie R, nummer 1387
Tezamen groot 02.17.73 ha.
Bodem en gebruik:
De grondsoort betreft lichte zavel. Het perceel is deels ingezaaid met agrarisch natuurmengsel en deels met gras (tijdelijk).
Bijzonderheden:
Er rust een jachtrecht op het perceel.
Bestemmingsplan:
Het perceel is gelegen binnen het bestemmingsplan 'Buitengebied 2018, 1e herziening', geheel in werking
vastgesteld door de Gemeente Bergen (L) per 13-12-2022.
Op het perceel rusten de volgende bestemmingsvlakken:
- 'Agrarisch'
- 'Wonen' (perceel Bergen R 864, grootte 55 m2)
Verkoopprocedure:
Het perceel wordt verkocht ‘per inschrijving’. Het inschrijfformulier met bijbehorende voorwaarden kunnen worden opgevraagd bij de makelaar.
Het volledige ingevulde en ondertekende inschrijfformulier dient uiterlijk 20-02-2026 vóór 13.00 uur ingeleverd te worden bij Arvalis Kantoor Venlo, Villafloraweg 1 Venlo, of per e-mail gericht aan info@arvalis.nl. Binnen 5 werkdagen zal de bieder(s) geïnformeerd worden of het perceel hem gegund is. Gunning geschiedt onder voorbehoud van goedkeuring door verkoper.
Aanvaarding:
In overleg
Voor meer informatie kunt u contact opnemen met:
John Derix (makelaar)
t: 06 2095 8074
e: jderix@arvalis.nl
Jolien Janssen (junior makelaar)
t: 06 5572 0230
e: jwjanssen@arvalis.nl
Het perceel heeft een langgerekt, taps toelopende vorm. De afgelopen jaren is het perceel deels ingezaaid geweest met een agrarisch natuurmengsel en deels als (tijdelijk) grasland.
De bodem bestaat uit lichte zavel, geschikt voor de teelt van diverse akkerbouwgewassen.
Kadastrale situatie:
Gemeente Bergen Limburg, sectie R, nummer 864
Gemeente Bergen Limburg, sectie R, nummer 1387
Tezamen groot 02.17.73 ha.
Bodem en gebruik:
De grondsoort betreft lichte zavel. Het perceel is deels ingezaaid met agrarisch natuurmengsel en deels met gras (tijdelijk).
Bijzonderheden:
Er rust een jachtrecht op het perceel.
Bestemmingsplan:
Het perceel is gelegen binnen het bestemmingsplan 'Buitengebied 2018, 1e herziening', geheel in werking
vastgesteld door de Gemeente Bergen (L) per 13-12-2022.
Op het perceel rusten de volgende bestemmingsvlakken:
- 'Agrarisch'
- 'Wonen' (perceel Bergen R 864, grootte 55 m2)
Verkoopprocedure:
Het perceel wordt verkocht ‘per inschrijving’. Het inschrijfformulier met bijbehorende voorwaarden kunnen worden opgevraagd bij de makelaar.
Het volledige ingevulde en ondertekende inschrijfformulier dient uiterlijk 20-02-2026 vóór 13.00 uur ingeleverd te worden bij Arvalis Kantoor Venlo, Villafloraweg 1 Venlo, of per e-mail gericht aan info@arvalis.nl. Binnen 5 werkdagen zal de bieder(s) geïnformeerd worden of het perceel hem gegund is. Gunning geschiedt onder voorbehoud van goedkeuring door verkoper.
Aanvaarding:
In overleg
Voor meer informatie kunt u contact opnemen met:
John Derix (makelaar)
t: 06 2095 8074
e: jderix@arvalis.nl
Jolien Janssen (junior makelaar)
t: 06 5572 0230
e: jwjanssen@arvalis.nl
Kenmerken
| Overdracht | |
|---|---|
| Referentienummer | 68059/40918 |
| Status | Nieuw in verkoop |
| Bouw | |
|---|---|
| Type object | Losse grond |
| Soort bouw | Bestaande bouw |