Onder bod: Augustinusweg, 5853 EB Siebengewald
| Type object | Losse grond |
|---|
| Status | Onder bod |
|---|
Beschrijving
TE KOOP PER INSCHRIJVING!
Aan de rustige rand van Siebengewald, nabij de Augustinusweg, ligt dit mooie gesitueerde perceel cultuurgrond. De locatie is goed bereikbaar en biedt vrij uitzicht over het omliggende landschap.
Het perceel heeft een lichte verhoging in het midden, waardoor het perceel in twee gedeelten wordt gebruikt. De afgelopen jaren is het perceel ingezaaid geweest met een agrarisch natuurmengsel.
De bodem bestaat uit lichte zavel, geschikt voor de teelt van diverse akkerbouwgewassen.
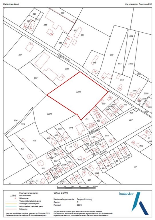
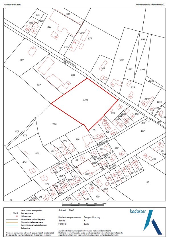
Kadastrale situatie
Gemeente Bergen Limburg, sectie R, nummer 1229, groot 01.01.46 ha.
Bodem en gebruik
De grondsoort betreft lichte zavel. Het perceel is ingezaaid met agrarisch natuurmengsel.
Bijzonderheden
Er rust een jachtrecht op het perceel welke momenteel verhuurd is.
Bestemmingsplan
Het perceel is gelegen binnen het bestemmingsplan 'Buitengebied 2018, 1e herziening', geheel in werking vastgesteld door de Gemeente Bergen (L) per 13-12-2022.
Op het perceel rusten de bestemmingsvlakken:
- 'Agrarisch met waarden'
- 'Waarde - Archeologie 5'
- 'Waterstaat - Beschermingszone waterkering'
Verkoopprocedure
Het perceel wordt verkocht ‘per inschrijving’. Het inschrijfformulier met bijbehorende voorwaarden kunnen worden opgevraagd bij de makelaar.
Het volledige ingevulde en ondertekende inschrijfformulier dient uiterlijk 17-12-2025 vóór 13.00 uur ingeleverd te worden bij Arvalis Kantoor Venlo, Villafloraweg 1 Venlo, of per e-mail gericht aan info@arvalis.nl. Binnen 5 werkdagen zal de bieder(s) geïnformeerd worden of het perceel hem gegund is. Gunning geschiedt onder voorbehoud van goedkeuring door verkoper.
Aanvaarding
In overleg
Voor meer informatie kunt u contact opnemen met:
John Derix (makelaar)
t: 06 2095 8074
e: jderix@arvalis.nl
Jolien Janssen (junior makelaar)
t: 06 5572 0230
e: jwjanssen@arvalis.nl
Arvalis kantoor Venlo
Villafloraweg 1
5928 SZ Venlo
t: 0478 578 257
Aan de rustige rand van Siebengewald, nabij de Augustinusweg, ligt dit mooie gesitueerde perceel cultuurgrond. De locatie is goed bereikbaar en biedt vrij uitzicht over het omliggende landschap.
Het perceel heeft een lichte verhoging in het midden, waardoor het perceel in twee gedeelten wordt gebruikt. De afgelopen jaren is het perceel ingezaaid geweest met een agrarisch natuurmengsel.
De bodem bestaat uit lichte zavel, geschikt voor de teelt van diverse akkerbouwgewassen.
Kadastrale situatie
Gemeente Bergen Limburg, sectie R, nummer 1229, groot 01.01.46 ha.
Bodem en gebruik
De grondsoort betreft lichte zavel. Het perceel is ingezaaid met agrarisch natuurmengsel.
Bijzonderheden
Er rust een jachtrecht op het perceel welke momenteel verhuurd is.
Bestemmingsplan
Het perceel is gelegen binnen het bestemmingsplan 'Buitengebied 2018, 1e herziening', geheel in werking vastgesteld door de Gemeente Bergen (L) per 13-12-2022.
Op het perceel rusten de bestemmingsvlakken:
- 'Agrarisch met waarden'
- 'Waarde - Archeologie 5'
- 'Waterstaat - Beschermingszone waterkering'
Verkoopprocedure
Het perceel wordt verkocht ‘per inschrijving’. Het inschrijfformulier met bijbehorende voorwaarden kunnen worden opgevraagd bij de makelaar.
Het volledige ingevulde en ondertekende inschrijfformulier dient uiterlijk 17-12-2025 vóór 13.00 uur ingeleverd te worden bij Arvalis Kantoor Venlo, Villafloraweg 1 Venlo, of per e-mail gericht aan info@arvalis.nl. Binnen 5 werkdagen zal de bieder(s) geïnformeerd worden of het perceel hem gegund is. Gunning geschiedt onder voorbehoud van goedkeuring door verkoper.
Aanvaarding
In overleg
Voor meer informatie kunt u contact opnemen met:
John Derix (makelaar)
t: 06 2095 8074
e: jderix@arvalis.nl
Jolien Janssen (junior makelaar)
t: 06 5572 0230
e: jwjanssen@arvalis.nl
Arvalis kantoor Venlo
Villafloraweg 1
5928 SZ Venlo
t: 0478 578 257
Kenmerken
| Overdracht | |
|---|---|
| Referentienummer | 68059/39324 |
| Status | Onder bod |
| Laatste wijziging | Maandag 29 december 2025 |
| Bouw | |
|---|---|
| Type object | Losse grond |
| Soort bouw | Bestaande bouw |