Verkocht: Wanssumseweg, 5807 EA Oostrum
| Type object | Losse grond |
|---|
| Status | Verkocht |
|---|
Beschrijving
Wij bieden u een mooi perceel gelegen cultuurgrond aan, gelegen aan de Wanssumseweg te Oostrum. Het perceel is goed toegankelijk via de verharde weg vanuit de Wanssumseweg te Oostrum en geschikt voor de teelt van diverse soorten akkerbouw- en tuinbouwgewassen.
De omgeving kenmerkt zich door een agrarisch buitengebied nabij de rand van het dorp Oostrum.
Kadastrale situatie:
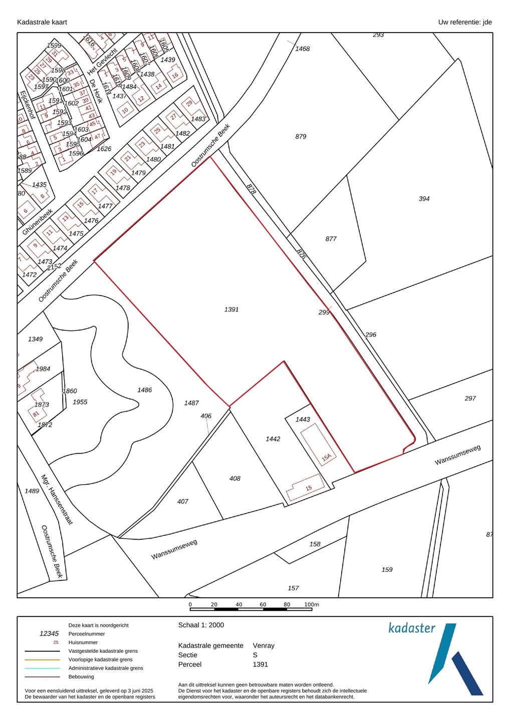
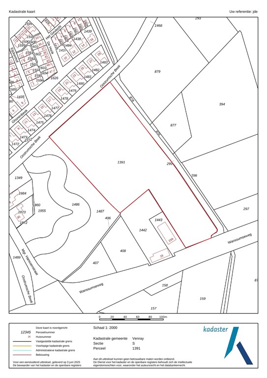
Gemeente Venray, sectie S, nummer 1391, totaal groot: 02.67.50 ha.
Bodem en gebruik:
De grondsoort betreft zandgrond.
Teeltplan laatste 3 jaar:
2025: Maïs
2024: Maïs
2023: Maïs
Bijzonderheden:
- Het perceel wordt vrij van pacht opgeleverd.
- Er rust geen jachtrecht op het perceel.
- Zeer goed bereikbaar vanuit de openbare weg.
Bestemmingsplan:
Het perceel ligt in het bestemmingsplan Buitengebied Venray 2010 van de gemeente Venray vastgesteld
14-12-2010 - geheel onherroepelijk in werking.
Bestemmingsvlakken:
- Waarde - Archeologie – 1
- Waarde - Ontwikkelingszone groen
- Waarde – Beekdal
- Waterstaat - Beschermingszone watergang
- Leiding – Riool
- Agrarisch met waarden
Gebiedsaanduidingen:
- reconstructiewetzone – extensiveringsgebied
- reconstructiewetzone – verwevingsgebied
Verkoopprocedure:
Het perceel wordt verkocht ‘per inschrijving’. Het inschrijfformulier met bijbehorende voorwaarden kunnen worden opgevraagd bij de makelaar.
Het volledige ingevulde en ondertekende inschrijfformulier dient uiterlijk woensdag 12 november 2025 vóór 13.00 uur ingeleverd te worden bij Arvalis Kantoor Venlo, Villafloraweg 1 Venlo, of per e-mail gericht aan info@arvalis.nl. Binnen 5 werkdagen zal de bieder(s) geïnformeerd worden of het perceel hem gegund is. Gunning geschiedt onder voorbehoud van goedkeuring door verkoper.
Aanvaarding:
In overleg
Voor meer informatie kunt u contact opnemen met:
John Derix
06 20958074
jderix@arvalis.nl
De omgeving kenmerkt zich door een agrarisch buitengebied nabij de rand van het dorp Oostrum.
Kadastrale situatie:
Gemeente Venray, sectie S, nummer 1391, totaal groot: 02.67.50 ha.
Bodem en gebruik:
De grondsoort betreft zandgrond.
Teeltplan laatste 3 jaar:
2025: Maïs
2024: Maïs
2023: Maïs
Bijzonderheden:
- Het perceel wordt vrij van pacht opgeleverd.
- Er rust geen jachtrecht op het perceel.
- Zeer goed bereikbaar vanuit de openbare weg.
Bestemmingsplan:
Het perceel ligt in het bestemmingsplan Buitengebied Venray 2010 van de gemeente Venray vastgesteld
14-12-2010 - geheel onherroepelijk in werking.
Bestemmingsvlakken:
- Waarde - Archeologie – 1
- Waarde - Ontwikkelingszone groen
- Waarde – Beekdal
- Waterstaat - Beschermingszone watergang
- Leiding – Riool
- Agrarisch met waarden
Gebiedsaanduidingen:
- reconstructiewetzone – extensiveringsgebied
- reconstructiewetzone – verwevingsgebied
Verkoopprocedure:
Het perceel wordt verkocht ‘per inschrijving’. Het inschrijfformulier met bijbehorende voorwaarden kunnen worden opgevraagd bij de makelaar.
Het volledige ingevulde en ondertekende inschrijfformulier dient uiterlijk woensdag 12 november 2025 vóór 13.00 uur ingeleverd te worden bij Arvalis Kantoor Venlo, Villafloraweg 1 Venlo, of per e-mail gericht aan info@arvalis.nl. Binnen 5 werkdagen zal de bieder(s) geïnformeerd worden of het perceel hem gegund is. Gunning geschiedt onder voorbehoud van goedkeuring door verkoper.
Aanvaarding:
In overleg
Voor meer informatie kunt u contact opnemen met:
John Derix
06 20958074
jderix@arvalis.nl
Kenmerken
| Overdracht | |
|---|---|
| Referentienummer | 68059/38780 |
| Status | Verkocht |
| Laatste wijziging | Woensdag 3 december 2025 |
| Bouw | |
|---|---|
| Type object | Losse grond |
| Soort bouw | Bestaande bouw |