Verkocht: Herenbosweg, 5962 NW Melderslo
| Type object | Losse grond |
|---|
| Status | Verkocht |
|---|
Beschrijving
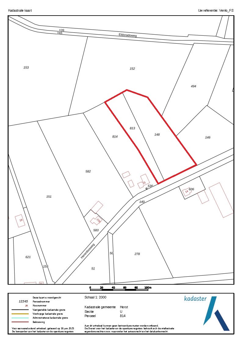
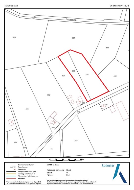
Wij bieden u te koop aan een mooi perceel cultuurgrond ter grootte van 1.11.85 ha, welke geschikt is voor diverse akkerbouw- en tuinbouwgewassen. Het perceel is goed bereikbaar via de Herenbosweg.
De omgeving kenmerkt zich door agrarisch buitengebied met agrarische bedrijven, gronden en natuur.
Bodem en gebruik:
Teeltplan laatste drie jaar:
- 2023: mais
- 2024: mais
- 2025: gerst
De grondsoort is zandgrond.
Kadastrale situatie:
Het betreft twee percelen, kadastraal bekend als:
- Horst, U 813, groot 0.36.65 ha
- Horst, U 148, groot 0.75.20 ha
Totaal groot 1.11.85 ha
Bijzonderheden:
- Het perceel wordt vrij van pacht en gebruik opgeleverd.
- Er is geen geregistreerde put aanwezig op het perceel.
- Het jachtrecht is niet verhuurd.
- Het perceel is mogelijk niet vrij van knolcyperus.
Bestemmingsplan:
De percelen zijn gelegen binnen het Bestemmingsplan Buitengebied Horst aan de Maas - vastgesteld 19-12-2017 - deels onherroepelijk in werking.
Bestemmingsvlakken (3)
- Waarde - Archeologie 6
- Waarde - Zone bronsgroene landschapszone
- Agrarisch met waarden
Gebiedsaanduidingen (2)
- milieuzone - grondwaterbeschermingsgebied Venloschol
- overige zone - heideontginning
Verkoopprocedure:
Het perceel wordt verkocht ‘per inschrijving’. Het inschrijfformulier met bijbehorende voorwaarden kunnen worden opgevraagd bij de makelaar.
Het volledige ingevulde en ondertekende inschrijfformulier dient uiterlijk woensdag 10 december 2025 vóór 13.00 uur ingeleverd te worden bij Arvalis Kantoor Venlo, Villafloraweg 1 Venlo, of per e-mail gericht aan info@arvalis.nl. Binnen 5 werkdagen zal de bieder(s) geïnformeerd worden of het perceel hem gegund is. Gunning geschiedt onder voorbehoud van goedkeuring door verkoper.
Aanvaarding:
In overleg
Voor meer informatie kunt u contact opnemen met:
John Derix
06 20958074
jderix@arvalis.nl
De omgeving kenmerkt zich door agrarisch buitengebied met agrarische bedrijven, gronden en natuur.
Bodem en gebruik:
Teeltplan laatste drie jaar:
- 2023: mais
- 2024: mais
- 2025: gerst
De grondsoort is zandgrond.
Kadastrale situatie:
Het betreft twee percelen, kadastraal bekend als:
- Horst, U 813, groot 0.36.65 ha
- Horst, U 148, groot 0.75.20 ha
Totaal groot 1.11.85 ha
Bijzonderheden:
- Het perceel wordt vrij van pacht en gebruik opgeleverd.
- Er is geen geregistreerde put aanwezig op het perceel.
- Het jachtrecht is niet verhuurd.
- Het perceel is mogelijk niet vrij van knolcyperus.
Bestemmingsplan:
De percelen zijn gelegen binnen het Bestemmingsplan Buitengebied Horst aan de Maas - vastgesteld 19-12-2017 - deels onherroepelijk in werking.
Bestemmingsvlakken (3)
- Waarde - Archeologie 6
- Waarde - Zone bronsgroene landschapszone
- Agrarisch met waarden
Gebiedsaanduidingen (2)
- milieuzone - grondwaterbeschermingsgebied Venloschol
- overige zone - heideontginning
Verkoopprocedure:
Het perceel wordt verkocht ‘per inschrijving’. Het inschrijfformulier met bijbehorende voorwaarden kunnen worden opgevraagd bij de makelaar.
Het volledige ingevulde en ondertekende inschrijfformulier dient uiterlijk woensdag 10 december 2025 vóór 13.00 uur ingeleverd te worden bij Arvalis Kantoor Venlo, Villafloraweg 1 Venlo, of per e-mail gericht aan info@arvalis.nl. Binnen 5 werkdagen zal de bieder(s) geïnformeerd worden of het perceel hem gegund is. Gunning geschiedt onder voorbehoud van goedkeuring door verkoper.
Aanvaarding:
In overleg
Voor meer informatie kunt u contact opnemen met:
John Derix
06 20958074
jderix@arvalis.nl
Kenmerken
| Overdracht | |
|---|---|
| Referentienummer | 68059/39306 |
| Status | Verkocht |
| Laatste wijziging | Maandag 29 december 2025 |
| Bouw | |
|---|---|
| Type object | Losse grond |
| Soort bouw | Bestaande bouw |