Verkocht: Beversweg, 6143 AZ Guttecoven
| Type object | Losse grond |
|---|
| Status | Verkocht |
|---|
Beschrijving
TE KOOP PER INSCHRIJVING!
Wij bieden u een mooi perceel cultuurgrond aan welke goed toegankelijk is vanuit de verharde weg Beversweg in Guttecoven. De grondsoort betreft lössgrond en het perceel is vlak gelegen. Het perceel is zowel geschikt als grasland maar ook voor verschillende akkerbouwteelten, waaronder aardappelen, gerst, bieten en maïs. Het perceel is goed ontsloten middels de Beversweg, welke vervolgens via de Dorpstraat goed aansluit naar de kern van Guttecoven.
De omgeving kenmerkt zich door een agrarisch buitengebied met diverse agrarische percelen. Een mooie kans voor de agrariër of belegger om dit perceel in eigendom te verwerven. Als u interesse heeft als belegger bieden wij de mogelijkheid om het perceel aan een agrariër te verpachten en dit geheel van verpachten voor u te verzorgen.
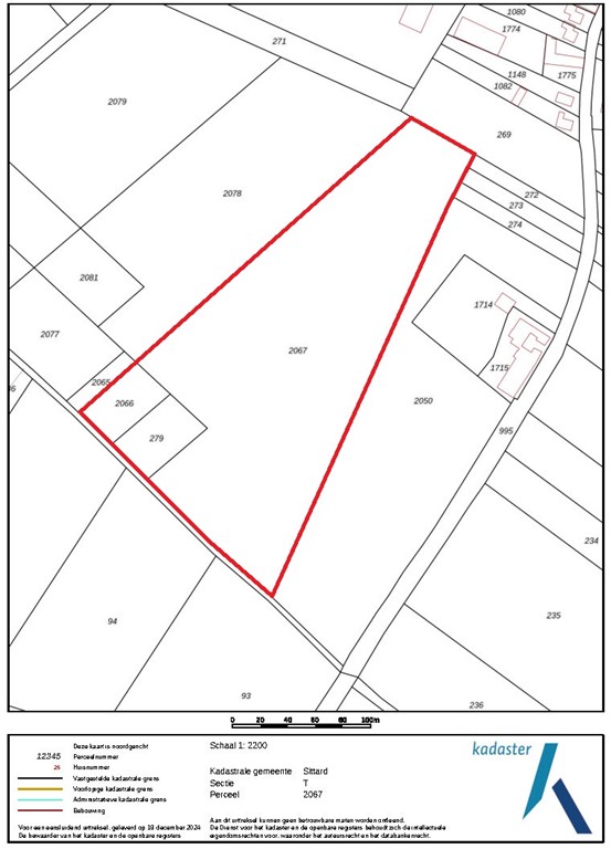
Kadastrale situatie
Gemeente Sittard, sectie T, nummer 279, 2066 en 2067, tezamen groot ca. 04.00.05 ha.
Bodem en gebruik
De grondsoort betreft lössgrond. Het perceel is de laatste jaren in gebruik geweest voor de teelt van:
2025: wintertarwe
2024: aardappelen
2023: bieten
2022: gerst
Bijzonderheden
– Het jachtrecht is verhuurd.
- Perceel Sittard, sectie T, nummer 2067 is belast met Zakelijk recht als bedoeld in artikel 5, lid 3, onder b, van de Belemmeringenwet Privaatrecht op gedeelte van perceel ten behoeve van Gasunie Transport Services B.V. (gasleiding).
Bestemmingsplan
Het perceel is gelegen in het bestemmingsplan 'Buitengebied Sittard', vastgesteld per 26-06-2013 door de gemeente Sittard-Geleen.
Het perceel heeft de bestemmingsvlakken:
- Agrarisch
- Leiding - Leidingstrook
- Leiding - Gas
Gebiedsaanduidingen:
- geluidzone - industrie
Verkoopprocedure
Het perceel wordt verkocht ‘per inschrijving’. Het inschrijfformulier met bijbehorende voorwaarden kunnen worden opgevraagd bij de makelaar. Het volledige ingevulde en ondertekende inschrijfformulier dient uiterlijk op 24-07-2025 vóór 10.00 uur ingeleverd te worden bij Arvalis Kantoor Roermond, Steegstraat 5, 6041 EA Roermond of per e-mail gericht aan info@arvalis.nl. Gunning geschiedt onder voorbehoud van goedkeuring door verkoper.
Aanvaarding
Juridische levering uiterlijk 01-09-2025. De feitelijke levering vindt plaats in overleg waarbij er vanuit verkoper twee opties geboden worden, namelijk:
- Feitelijke levering na de oogst van de huidige gewas opstand, doch uiterlijk 01-09-2025.
- Voortgezet gebruik van 3 jaar voor de verkoper (feitelijke levering uiterlijk 31-12-2028).
Voor meer informatie kunt u contact opnemen met:
Timon Dols (makelaar)
t: 06-51225838
e: tdols@arvalis.nl
Arvalis kantoor Roermond
Steegstraat 5
6041 EA Roermond
t: 0475 355700
Wij bieden u een mooi perceel cultuurgrond aan welke goed toegankelijk is vanuit de verharde weg Beversweg in Guttecoven. De grondsoort betreft lössgrond en het perceel is vlak gelegen. Het perceel is zowel geschikt als grasland maar ook voor verschillende akkerbouwteelten, waaronder aardappelen, gerst, bieten en maïs. Het perceel is goed ontsloten middels de Beversweg, welke vervolgens via de Dorpstraat goed aansluit naar de kern van Guttecoven.
De omgeving kenmerkt zich door een agrarisch buitengebied met diverse agrarische percelen. Een mooie kans voor de agrariër of belegger om dit perceel in eigendom te verwerven. Als u interesse heeft als belegger bieden wij de mogelijkheid om het perceel aan een agrariër te verpachten en dit geheel van verpachten voor u te verzorgen.
Kadastrale situatie
Gemeente Sittard, sectie T, nummer 279, 2066 en 2067, tezamen groot ca. 04.00.05 ha.
Bodem en gebruik
De grondsoort betreft lössgrond. Het perceel is de laatste jaren in gebruik geweest voor de teelt van:
2025: wintertarwe
2024: aardappelen
2023: bieten
2022: gerst
Bijzonderheden
– Het jachtrecht is verhuurd.
- Perceel Sittard, sectie T, nummer 2067 is belast met Zakelijk recht als bedoeld in artikel 5, lid 3, onder b, van de Belemmeringenwet Privaatrecht op gedeelte van perceel ten behoeve van Gasunie Transport Services B.V. (gasleiding).
Bestemmingsplan
Het perceel is gelegen in het bestemmingsplan 'Buitengebied Sittard', vastgesteld per 26-06-2013 door de gemeente Sittard-Geleen.
Het perceel heeft de bestemmingsvlakken:
- Agrarisch
- Leiding - Leidingstrook
- Leiding - Gas
Gebiedsaanduidingen:
- geluidzone - industrie
Verkoopprocedure
Het perceel wordt verkocht ‘per inschrijving’. Het inschrijfformulier met bijbehorende voorwaarden kunnen worden opgevraagd bij de makelaar. Het volledige ingevulde en ondertekende inschrijfformulier dient uiterlijk op 24-07-2025 vóór 10.00 uur ingeleverd te worden bij Arvalis Kantoor Roermond, Steegstraat 5, 6041 EA Roermond of per e-mail gericht aan info@arvalis.nl. Gunning geschiedt onder voorbehoud van goedkeuring door verkoper.
Aanvaarding
Juridische levering uiterlijk 01-09-2025. De feitelijke levering vindt plaats in overleg waarbij er vanuit verkoper twee opties geboden worden, namelijk:
- Feitelijke levering na de oogst van de huidige gewas opstand, doch uiterlijk 01-09-2025.
- Voortgezet gebruik van 3 jaar voor de verkoper (feitelijke levering uiterlijk 31-12-2028).
Voor meer informatie kunt u contact opnemen met:
Timon Dols (makelaar)
t: 06-51225838
e: tdols@arvalis.nl
Arvalis kantoor Roermond
Steegstraat 5
6041 EA Roermond
t: 0475 355700
Kenmerken
| Overdracht | |
|---|---|
| Referentienummer | 68059/37704 |
| Status | Verkocht |
| Laatste wijziging | Woensdag 6 augustus 2025 |
| Bouw | |
|---|---|
| Type object | Losse grond |
| Soort bouw | Bestaande bouw |