Verkocht: Leiweg, 5386 Geffen
Prijs op aanvraag
| Type object | Losse grond |
|---|---|
| Aanvaarding | In overleg |
| Perceeloppervlakte | 44.865 m² |
|---|---|
| Status | Verkocht |
Beschrijving
Te koop bij inschrijving: Perceel landbouwgrond, ter grootte van 04.48.65 hectare aan de Leiweg te Geffen. Inschrijven is mogelijk t/m woensdag 29 oktober 2025, 12.00 uur.
Indeling
Het betreft een perceel landbouwgrond gelegen aan de Leiweg te Geffen, ter grootte van 04.48.65 hectare.
Het perceel is te koop bij inschrijving.
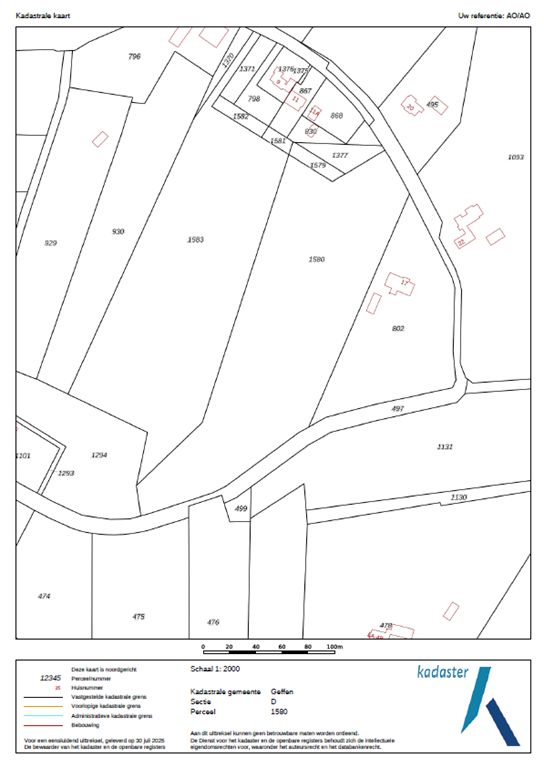
Kadastrale gegevens
Gemeente Geffen, sectie D, nummer 1583, ter grootte van 02.25.82 ha
Gemeente Geffen, sectie D, nummer 1580, ter grootte van 02.22.83 ha
Totale oppervlakte 04.48.65 ha
Opmerking: de buren hebben een klein oppervlakte van het perceel gekocht (1.120 m²) t.b.v. uitbreiding van de tuin. Bovengenoemde kadastrale gegevens zijn de nieuwe en correcte afmetingen van het perceel. Het perceel zelf is nog niet afgebakend, op dit moment zijn er PVC buisjes met houten paaltjes onder het maaiveld aangebracht voor het aangeven van de nieuwe erfgrens.
Aantekening kadaster: voor de eigendomssituatie en de zakelijke gerechtigden wordt verwezen naar aangehechte kadastrale uittreksel en kaart.
Bestemming
Het object is gelegen in het bestemmingsplan “Buitengebied Oss - 2020”, van de gemeente Oss, vastgesteld door de raad van deze gemeente op 17 april 2020, in werking getreden en onherroepelijk geworden.
Het huidige gebruik is wel toegestaan conform dit bestemmingsplan.
Bestemmingsvlakken (2)
Agrarisch met waarden – Landschap
Natuur (ca. 615 m²).
Waarde - Archeologie verwachtingswaarde hoog
Gebiedsaanduidingen (3)
overige zone - gemengd landelijk gebied
overige zone - beperking veehouderij
overige zone – dekzandrug
Landbouwgrond
Perceel landbouwgrond met een perceeloppervlakte van 04.48.65 hectare.
Het betreft zandgrond.
Het perceel is rechthoekig van vorm, verkaveld en kan ontsloten worden aan een verharde weg.
Het perceel is niet gedraineerd.
Het perceel verkeert wel in goede staat van onderhoud.
De bereikbaarheid van het perceel is: goed
Beregening is niet mogelijk.
Wel zijn er kansen voor het aanleggen van een nieuwe beregeningsput, indien voldaan kan worden aan de voorwaarden van het Waterschap Aa en Maas voor het verkrijgen van een vergunning (bedrijfswaterplan).
Het perceel wordt verpacht tot en met 31 december 2025.
Er rust wel jachtrecht op het verkochte tot en met 01 augustus 2035.
Alle baten en lasten komen voor rekening van koper met ingang van 1 januari 2026.
Volgens de Bodemkaart (GIS) bestaat de bodem uit: Laarpodzolgronden; leemarm en zwak lemig fijn zand (cHn21).
Levering
De akte van levering dient voor rekening van koper te worden gepasseerd uiterlijk 19 december 2025 bij PPH Notarissen, gevestigd te Heesch en kantoorhoudende aldaar aan de Schoonstraat 1 (5384 AK); telefoonnummer: 0412 – 454 938; email: heesch@pphnotarissen.nl.
De feitelijke levering (aflevering) van het verkochte vindt plaats op 1 januari 2026, geheel leeg en ontruimd, vrij van huur en/of pacht.
Koper heeft een eigen informatieplicht ter zake van alle onderwerpen die voor hem van belang kunnen zijn. Dat geldt zeker voor bestemmingen, bestemmingsplannen, verordeningen, e.d.
Verkoop bij inschrijving
Verkoop geschiedt door middel van inschrijving. Inschrijving vindt uitsluitend plaats door het tijdig indienen van een geldig ingevuld en ondertekend inschrijfformulier. Onvolledige en niet ondertekende inschrijfformulieren zijn ongeldig.
Inschrijven is mogelijk tot en met woensdag 29 oktober 2025 tot 12.00 uur. Het inschrijfformulier dient dan in een gesloten enveloppe samen met een kopie van een geldig legitimatiebewijs en een verklaring van een erkende bankinstelling waaruit blijkt dat de bieder financieel in staat is de koopprijs met de kosten en belastingen te betalen, op het kantoor van de notaris aanwezig te zijn, zijnde: PPH Notarissen, gevestigd te Heesch en kantoorhoudende aldaar aan de Schoonstraat 1 (5384 AK); telefoonnummer: 0412 – 454 938; email heesch@pphnotarissen.nl, middels een gesloten enveloppe met vermelding “Inschrijving Leiweg, Geffen”.
De notaris opent slechts de enveloppen en noteert alle bieders, maar heeft verder geen bemoeienis met en aanvaardt geen aansprakelijkheid voor deze inschrijving.
Aantal voorwaarden
Zie onze uitgebreide verkoopbrochure
Bezichtiging / vragen
U kunt de percelen op eigen gelegenheid bezichtigen.
Voor vragen kunt u contact opnemen met Arvalis, telefoon 073 – 217 35 80 (of via email: vastgoed@arvalis.nl) of u kunt rechtstreeks bellen met Anne van Oorschot, te bereiken onder mobiele nummer: 06 – 29 17 94 27 of email: anne.van.oorschot@arvalis.nl.
Informatie
Algemeen:
Alle verstrekte informatie moet uitsluitend gezien worden als een uitnodiging tot het doen van een financieel voorstel.
Informatieplicht:
Koper heeft een eigen informatieplicht ter zake alle onderwerpen die voor hem van belang (kunnen) zijn. Dat geldt zeker voor bestemmingen, bestemmingsplannen, bouwverordeningen e.d.
De in deze verkoopinformatie vermelde gegevens zijn zo zorgvuldig mogelijk samengesteld. Worden toch onjuistheden geconstateerd, dan kunnen daar geen rechten of aanspraken aan worden ontleend.
Het perceel is te koop bij inschrijving.
Kadastrale gegevens
Gemeente Geffen, sectie D, nummer 1583, ter grootte van 02.25.82 ha
Gemeente Geffen, sectie D, nummer 1580, ter grootte van 02.22.83 ha
Totale oppervlakte 04.48.65 ha
Opmerking: de buren hebben een klein oppervlakte van het perceel gekocht (1.120 m²) t.b.v. uitbreiding van de tuin. Bovengenoemde kadastrale gegevens zijn de nieuwe en correcte afmetingen van het perceel. Het perceel zelf is nog niet afgebakend, op dit moment zijn er PVC buisjes met houten paaltjes onder het maaiveld aangebracht voor het aangeven van de nieuwe erfgrens.
Aantekening kadaster: voor de eigendomssituatie en de zakelijke gerechtigden wordt verwezen naar aangehechte kadastrale uittreksel en kaart.
Bestemming
Het object is gelegen in het bestemmingsplan “Buitengebied Oss - 2020”, van de gemeente Oss, vastgesteld door de raad van deze gemeente op 17 april 2020, in werking getreden en onherroepelijk geworden.
Het huidige gebruik is wel toegestaan conform dit bestemmingsplan.
Bestemmingsvlakken (2)
Agrarisch met waarden – Landschap
Natuur (ca. 615 m²).
Waarde - Archeologie verwachtingswaarde hoog
Gebiedsaanduidingen (3)
overige zone - gemengd landelijk gebied
overige zone - beperking veehouderij
overige zone – dekzandrug
Landbouwgrond
Perceel landbouwgrond met een perceeloppervlakte van 04.48.65 hectare.
Het betreft zandgrond.
Het perceel is rechthoekig van vorm, verkaveld en kan ontsloten worden aan een verharde weg.
Het perceel is niet gedraineerd.
Het perceel verkeert wel in goede staat van onderhoud.
De bereikbaarheid van het perceel is: goed
Beregening is niet mogelijk.
Wel zijn er kansen voor het aanleggen van een nieuwe beregeningsput, indien voldaan kan worden aan de voorwaarden van het Waterschap Aa en Maas voor het verkrijgen van een vergunning (bedrijfswaterplan).
Het perceel wordt verpacht tot en met 31 december 2025.
Er rust wel jachtrecht op het verkochte tot en met 01 augustus 2035.
Alle baten en lasten komen voor rekening van koper met ingang van 1 januari 2026.
Volgens de Bodemkaart (GIS) bestaat de bodem uit: Laarpodzolgronden; leemarm en zwak lemig fijn zand (cHn21).
Levering
De akte van levering dient voor rekening van koper te worden gepasseerd uiterlijk 19 december 2025 bij PPH Notarissen, gevestigd te Heesch en kantoorhoudende aldaar aan de Schoonstraat 1 (5384 AK); telefoonnummer: 0412 – 454 938; email: heesch@pphnotarissen.nl.
De feitelijke levering (aflevering) van het verkochte vindt plaats op 1 januari 2026, geheel leeg en ontruimd, vrij van huur en/of pacht.
Koper heeft een eigen informatieplicht ter zake van alle onderwerpen die voor hem van belang kunnen zijn. Dat geldt zeker voor bestemmingen, bestemmingsplannen, verordeningen, e.d.
Verkoop bij inschrijving
Verkoop geschiedt door middel van inschrijving. Inschrijving vindt uitsluitend plaats door het tijdig indienen van een geldig ingevuld en ondertekend inschrijfformulier. Onvolledige en niet ondertekende inschrijfformulieren zijn ongeldig.
Inschrijven is mogelijk tot en met woensdag 29 oktober 2025 tot 12.00 uur. Het inschrijfformulier dient dan in een gesloten enveloppe samen met een kopie van een geldig legitimatiebewijs en een verklaring van een erkende bankinstelling waaruit blijkt dat de bieder financieel in staat is de koopprijs met de kosten en belastingen te betalen, op het kantoor van de notaris aanwezig te zijn, zijnde: PPH Notarissen, gevestigd te Heesch en kantoorhoudende aldaar aan de Schoonstraat 1 (5384 AK); telefoonnummer: 0412 – 454 938; email heesch@pphnotarissen.nl, middels een gesloten enveloppe met vermelding “Inschrijving Leiweg, Geffen”.
De notaris opent slechts de enveloppen en noteert alle bieders, maar heeft verder geen bemoeienis met en aanvaardt geen aansprakelijkheid voor deze inschrijving.
Aantal voorwaarden
Zie onze uitgebreide verkoopbrochure
Bezichtiging / vragen
U kunt de percelen op eigen gelegenheid bezichtigen.
Voor vragen kunt u contact opnemen met Arvalis, telefoon 073 – 217 35 80 (of via email: vastgoed@arvalis.nl) of u kunt rechtstreeks bellen met Anne van Oorschot, te bereiken onder mobiele nummer: 06 – 29 17 94 27 of email: anne.van.oorschot@arvalis.nl.
Informatie
Algemeen:
Alle verstrekte informatie moet uitsluitend gezien worden als een uitnodiging tot het doen van een financieel voorstel.
Informatieplicht:
Koper heeft een eigen informatieplicht ter zake alle onderwerpen die voor hem van belang (kunnen) zijn. Dat geldt zeker voor bestemmingen, bestemmingsplannen, bouwverordeningen e.d.
De in deze verkoopinformatie vermelde gegevens zijn zo zorgvuldig mogelijk samengesteld. Worden toch onjuistheden geconstateerd, dan kunnen daar geen rechten of aanspraken aan worden ontleend.
Kenmerken
| Overdracht | |
|---|---|
| Referentienummer | VGP3900701 |
| Prijs | Prijs op aanvraag |
| Status | Verkocht |
| Aanvaarding | In overleg |
| Laatste wijziging | Maandag 17 november 2025 |
| Bouw | |
|---|---|
| Type object | Losse grond |
| Grondsoort | Zand |
| Soort bouw | Bestaande bouw |
| Oppervlaktes en inhoud | |
|---|---|
| Perceeloppervlakte | 4 ha 48 a 65 ca |
| Kadastrale gegevens | |
|---|---|
| Kadastrale aanduiding | Geffen D 1580 |
| Perceeloppervlakte | 22.283 m² |
| Omvang | Geheel perceel |
| Eigendomsituatie | Eigen grond |
| Kadastrale aanduiding | Geffen D 1583 |
| Perceeloppervlakte | 22.582 m² |
| Omvang | Geheel perceel |
| Eigendomsituatie | Eigen grond |