Te koop: Kaumeshoek, 5986 NA Beringe
Prijs op aanvraag
| Type object | Losse grond |
|---|
Beschrijving
Ondernemers die op zoek zijn naar een perceel goede zandgrond dat geschikt is voor het telen van diverse akkerbouw- en tuinbouwgewassen, opgelet! In Beringe ligt een perceel van ca. 03.04.52 ha.
Het betreft een mooi gelegen perceel cultuurgrond aan de Kaumeshoek in Beringe welke door zijn omvang voor diverse agrarische doeleinden geschikt is, de grondkwaliteit als goede zandgrond geeft voldoende mogelijkheden om er diverse tuinbouw- en akkerbouwgewassen te telen of voor de boomteelt. Het perceel heeft een mooie omvang en is vrij rechthoekig en mooi vlak gelegen, op het perceel is een beregeningsput aanwezig welke optioneel overgenomen kan worden.
Het perceel is zeer goed bereikbaar vanuit de Kaumeshoek via een verharde doodlopende weg.
De omgeving wordt gekenmerkt door voornamelijk bos, natuur en agrarische akker- en weilanden. Een mooie kans voor de agrariër of belegger om dit perceel in eigendom te verwerven. Als u interesse heeft als belegger bieden wij de mogelijkheid om het perceel aan een agrariër te verpachten en dit geheel van verpachten voor u te verzorgen. De laatste jaren is het perceel in gebruik geweest voor de teelt van mais, rabarber, sierheesters en klimplanten.
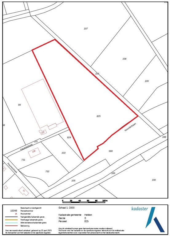
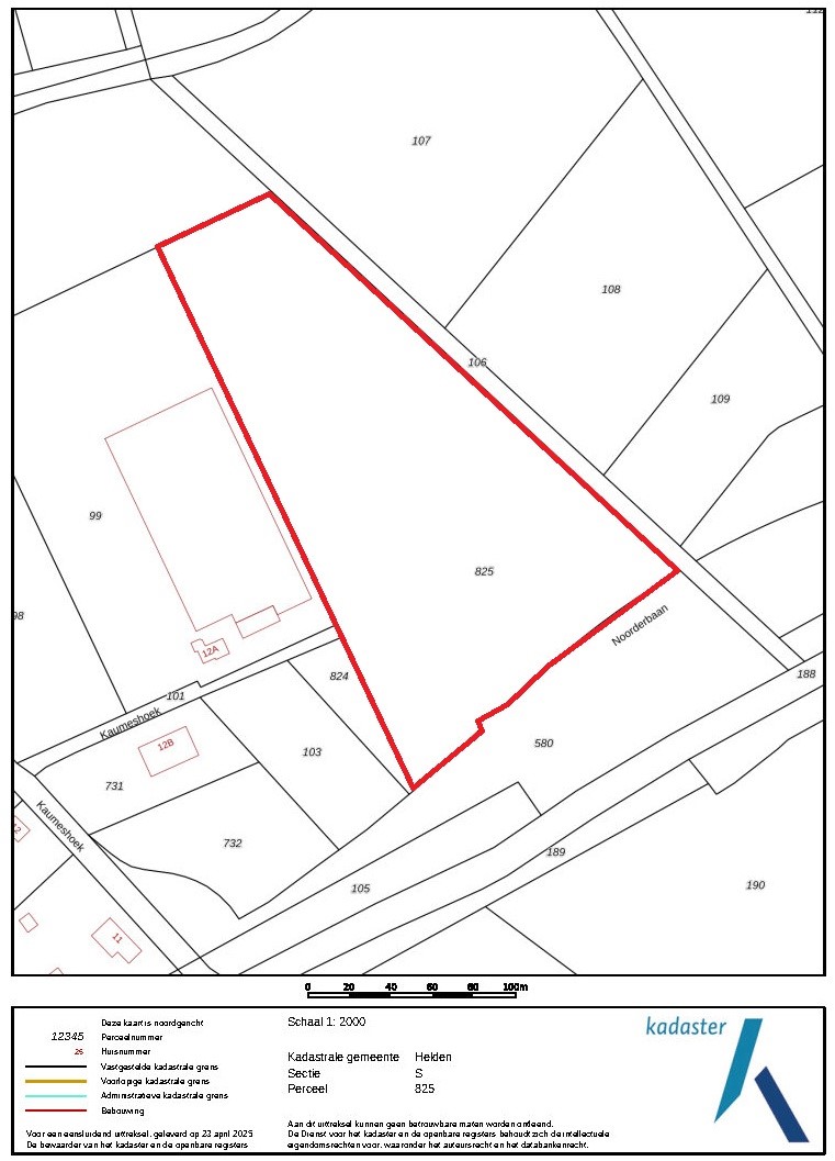
Kadastrale situatie
Gemeente Helden, sectie S, nummer 825, groot ca. 03.04.52 ha
Bodem en gebruik
Op dit moment is het perceel in gebruik als akkerland. De grondsoort betreft Veldpodzolgronden, leemarm en zwak lemig fijn zand.
Het perceel is de laatste jaren in gebruik geweest voor de volgende teelten:
2024: Mais, rabarber, sierheesters en klimplanten (o.a. Laurierkers, Portugese Laurierkers, Canadese Kornoelje, Blauwe hulst)
2023: Rabarber, sierheesters en klimplanten
2022: Mais, rabarber, sierheesters en klimplanten
2021: Mais, rabarber, sierheesters en klimplanten
2020: Mais, rabarber, sierheesters en klimplanten
Bijzonderheden
- Goede ontwatering mogelijk op de beek die er langs liggen.
- Makkelijk bereikbaar vanaf de openbare weg.
- Er rust geen jachtrecht op het perceel.
- Een grondwaterput is aanwezig en kan overgenomen worden.
- Uitermate geschikt voor o.a. plantenteelt.
- In het verleden waren er teeltondersteunende voorzieningen aanwezig in de vorm van wandelkappen. Deze zijn optioneel tegen een meerprijs over te nemen.
Vraagprijs
Op aanvraag.
Aanvaarding
In overleg.
Voor meer informatie kunt u contact opnemen met:
John Derix
T: 06 – 20958074
E: jderix@arvalis.nl
Arvalis kantoor Venlo
Het betreft een mooi gelegen perceel cultuurgrond aan de Kaumeshoek in Beringe welke door zijn omvang voor diverse agrarische doeleinden geschikt is, de grondkwaliteit als goede zandgrond geeft voldoende mogelijkheden om er diverse tuinbouw- en akkerbouwgewassen te telen of voor de boomteelt. Het perceel heeft een mooie omvang en is vrij rechthoekig en mooi vlak gelegen, op het perceel is een beregeningsput aanwezig welke optioneel overgenomen kan worden.
Het perceel is zeer goed bereikbaar vanuit de Kaumeshoek via een verharde doodlopende weg.
De omgeving wordt gekenmerkt door voornamelijk bos, natuur en agrarische akker- en weilanden. Een mooie kans voor de agrariër of belegger om dit perceel in eigendom te verwerven. Als u interesse heeft als belegger bieden wij de mogelijkheid om het perceel aan een agrariër te verpachten en dit geheel van verpachten voor u te verzorgen. De laatste jaren is het perceel in gebruik geweest voor de teelt van mais, rabarber, sierheesters en klimplanten.
Kadastrale situatie
Gemeente Helden, sectie S, nummer 825, groot ca. 03.04.52 ha
Bodem en gebruik
Op dit moment is het perceel in gebruik als akkerland. De grondsoort betreft Veldpodzolgronden, leemarm en zwak lemig fijn zand.
Het perceel is de laatste jaren in gebruik geweest voor de volgende teelten:
2024: Mais, rabarber, sierheesters en klimplanten (o.a. Laurierkers, Portugese Laurierkers, Canadese Kornoelje, Blauwe hulst)
2023: Rabarber, sierheesters en klimplanten
2022: Mais, rabarber, sierheesters en klimplanten
2021: Mais, rabarber, sierheesters en klimplanten
2020: Mais, rabarber, sierheesters en klimplanten
Bijzonderheden
- Goede ontwatering mogelijk op de beek die er langs liggen.
- Makkelijk bereikbaar vanaf de openbare weg.
- Er rust geen jachtrecht op het perceel.
- Een grondwaterput is aanwezig en kan overgenomen worden.
- Uitermate geschikt voor o.a. plantenteelt.
- In het verleden waren er teeltondersteunende voorzieningen aanwezig in de vorm van wandelkappen. Deze zijn optioneel tegen een meerprijs over te nemen.
Vraagprijs
Op aanvraag.
Aanvaarding
In overleg.
Voor meer informatie kunt u contact opnemen met:
John Derix
T: 06 – 20958074
E: jderix@arvalis.nl
Arvalis kantoor Venlo
Kenmerken
| Overdracht | |
|---|---|
| Referentienummer | 68059/37138 |
| Prijs | Prijs op aanvraag |
| Laatste wijziging | Maandag 2 juni 2025 |
| Bouw | |
|---|---|
| Type object | Losse grond |
| Soort bouw | Bestaande bouw |