Te koop: Maalbekerweg, 5951 NS Belfeld
Prijs op aanvraag
| Type object | Losse grond |
|---|
Beschrijving
Heeft u al eens gedroomd van uw eigen stukje bos? Bij deze bieden wij u een perceel bos aan, groot circa 4.010 m², gelegen in een mooi natuurrijk landschap in Belfeld dichtbij de Duitse grens. Het perceel is goed bereikbaar middels een verharde weg de 'Maalbekerweg' en is gelegen achter vakantiepark EuroParcs Maasduinen. Door het perceel loopt een weggetje voor wandelaars of fietsers. Het perceel kent diverse hoogteverschillen.
Het perceel is rechthoekig van vorm en goed ontsloten en biedt daarmee volop kansen voor mensen die op zoek zijn naar een bos voor recreatie, houtwinning, vogelspotten, natuurbeleving of als belegging. Mogelijkheden genoeg met uw eigen stukje natuur.
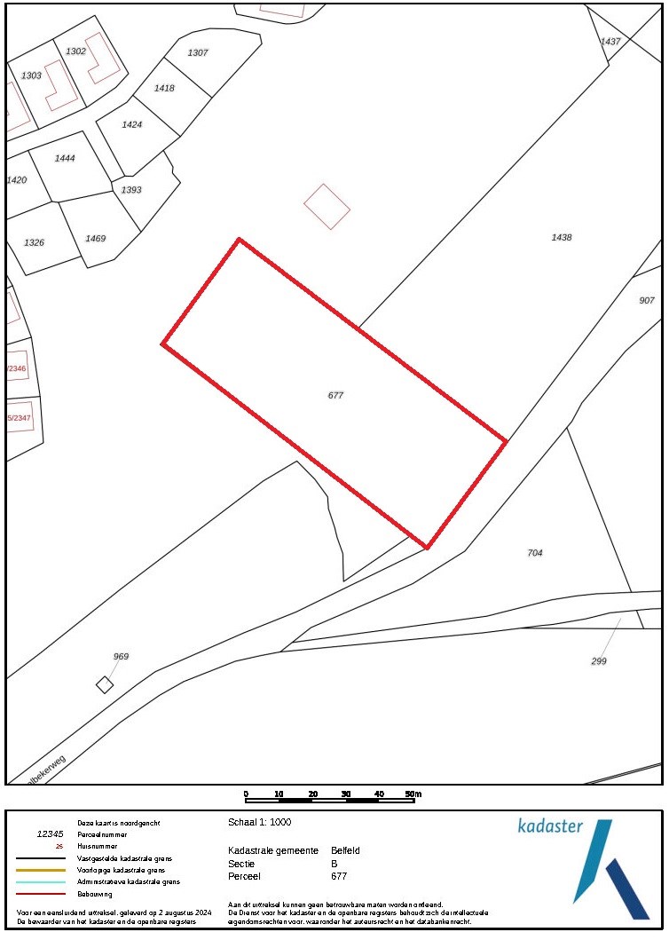
Kadastrale situatie
Gemeente Belfeld, sectie B, nummer 677, groot ca. 00.40.10 ha
Bestemmingsplan
Het perceel is gelegen in het bestemmingsplan 'Buitengebied Venlo’, vastgesteld op 30-03-2011 door de gemeente Venlo. Het perceel heeft het bestemmingsvlak: 'Bos’ en de gebiedsaanduidingen: 'other: bufferzone verdroging', 'other: ecologische hoofdstructuur' en 'milieuzone - grondwaterbescherming venlo schol'.
Bodem en gebruik
Het perceel is goed bebost met voornamelijk volwassen dennen en enkele berken opstanden met een stamdikte van veelal tussen 20-35 cm. De grondsoort betreft zandgrond. Het perceel is als Natuur aangemerkt en zo ook altijd in gebruik geweest.
Bijzonderheden
Het jachtrecht op het perceel is verhuurd.
Aanvaarding
In overleg
Vraagprijs
Prijs op aanvraag
Voor meer informatie kunt u contact opnemen met:
Nard Driessen (makelaar)
t: 06 4859 2874
e: ndriessen@arvalis.nl
Arvalis kantoor Roermond
Steegstraat 5
6041 EA ROERMOND
t: 0475 355 700
Het perceel is rechthoekig van vorm en goed ontsloten en biedt daarmee volop kansen voor mensen die op zoek zijn naar een bos voor recreatie, houtwinning, vogelspotten, natuurbeleving of als belegging. Mogelijkheden genoeg met uw eigen stukje natuur.
Kadastrale situatie
Gemeente Belfeld, sectie B, nummer 677, groot ca. 00.40.10 ha
Bestemmingsplan
Het perceel is gelegen in het bestemmingsplan 'Buitengebied Venlo’, vastgesteld op 30-03-2011 door de gemeente Venlo. Het perceel heeft het bestemmingsvlak: 'Bos’ en de gebiedsaanduidingen: 'other: bufferzone verdroging', 'other: ecologische hoofdstructuur' en 'milieuzone - grondwaterbescherming venlo schol'.
Bodem en gebruik
Het perceel is goed bebost met voornamelijk volwassen dennen en enkele berken opstanden met een stamdikte van veelal tussen 20-35 cm. De grondsoort betreft zandgrond. Het perceel is als Natuur aangemerkt en zo ook altijd in gebruik geweest.
Bijzonderheden
Het jachtrecht op het perceel is verhuurd.
Aanvaarding
In overleg
Vraagprijs
Prijs op aanvraag
Voor meer informatie kunt u contact opnemen met:
Nard Driessen (makelaar)
t: 06 4859 2874
e: ndriessen@arvalis.nl
Arvalis kantoor Roermond
Steegstraat 5
6041 EA ROERMOND
t: 0475 355 700
Kenmerken
| Overdracht | |
|---|---|
| Referentienummer | 68059/36829 |
| Prijs | Prijs op aanvraag |
| Bouw | |
|---|---|
| Type object | Losse grond |
| Soort bouw | Bestaande bouw |