Beschrijving

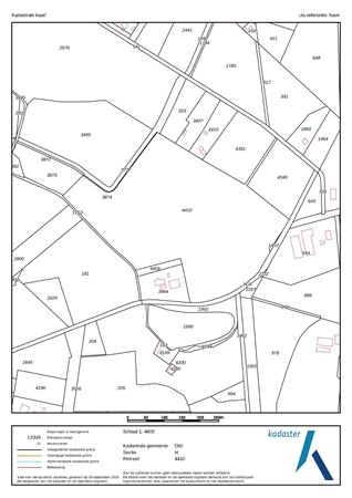
Te koop bij inschrijving perceel cultuurgrond groot 14.98.00 ha 
Gelegen te Wesepe nabij Weseperenkweg 3 in de hoek Haarbeltenweg en Heetenerdijk.

Het perceel is op dit moment in gebruik als grasland en bouwland, voor de mestwetgeving is het aangemerkt als "zand".
De ontsluiting is op de openbare Haarbeltenweg, Heetenerdijk en de Weseperenkweg.
Kavel A is groot circa 6.13.00 ha
Kavel B is groot circa 8.85.00 ha 
Kavel C is het gehele kadastrale perceel groot 14.98.00 ha.
Het wordt verkocht bij inschrijving die sluit op 18 december 2025 om 14.00 uur. De gunning is onder voorbehoud.

Info en inschrijfformulieren zijn verkrijgbaar bij:
Agrarische Makelaardij J.W. Kloosterboer
Velsdijk 2 b
8124 PP Wesepe
Tel: 0570 531950
Email: info@makelaardijkloosterboer.nl

Kenmerken