Beschrijving

U wordt aangeboden een mooi rechthoekig perceel cultuurgrond welke geschikt is voor akkerbouw en grasland. Het perceel is goed bereikbaar via de openbare weg.

Het perceel is gelegen in een agrarisch buitengebied met cultuurgronden, natuurgebied en agrarische bedrijven.

Bodem en gebruik:
Het perceel is de afgelopen jaren in gebruik geweest voor de teelt van:
- Maïs 2022
- Tarwe 2023
- Maïs 2024

De grondsoort is zware zavel.


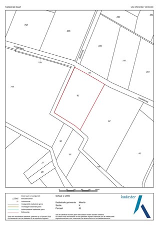
Kadastrale situatie:
Het betref één perceel kadastraal bekend als:
Meerlo K 61, groot: 1.15.56 ha


Bijzonderheden:
- Op het perceel ligt een bij het Waterschap Limburg geregistreerde beregeningsbron (HOR1511). Deze is onderdeel van de koop.
- Het perceel wordt vrij van pacht en gebruik opgeleverd.
- Het jachtrecht is verhuurd.


Bestemmingsplan:
het perceel cultuurgrond is gelegen binnen het bestemmingsplan Gemeente Horst aan de Maas, vastgesteld 19-12-2017 - deels onherroepelijk in werking - en heeft de volgende bestemmingsvlakken:

- Waterstaat - Stroomvoerend deel rivierbed 
- Waarde - Archeologie 6 
- Waarde - Zone bronsgroene landschapszone 
- Agrarisch met waarden

Gebiedsaanduidingen:
- milieuzone - hydrologische beschermingszone 
- overige zone - kampen


Aanvaarding:
In overleg


Vraagprijs:
Prijs op aanvraag


Voor meer informatie kunt u contact opnemen met:
Timon Dols
06-51 22 58 38
tdols@arvalis.nl

Kenmerken