Beschrijving

TE KOOP PER INSCHRIJVING!
Aan de rand van Siebengewald, nabij de Augustinusweg, bieden wij u een mooi perceel cultuurgrond aan. De ligging is rustig en vrij, met een goede ontsluiting richting het dorp. 

Het perceel kent een licht hoogteverschil. In het midden van het perceel ligt een kleine verhoging waardoor het terrein in twee delen wordt gebruikt. De grond is de afgelopen jaren ingezaaid geweest met een agrarisch natuurmengsel. 

Het betreft vruchtbare zavelgrond, geschikt voor de teelt van diverse gewassen.

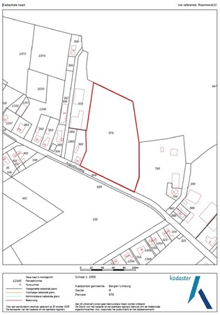
Kadastrale situatie 
Gemeente Bergen Limburg, sectie R, nummer 976,  groot 01.48.40 ha.

Bodem en gebruik 
De grondsoort betreft lichte zavelgrond. Het perceel is ingezaaid met agrarisch natuurmengsel. Daarvoor is het perceel gebruikt voor maïs en groenteteelt.

Bijzonderheden 
- Er rust een jachtrecht op het perceel welke momenteel verhuurd is
- Op het perceel is een beregeningsput gevestigd, de putregistratie wordt mee overgedragen. Het putnummer betreft: BGN504. 

Bestemmingsplan
Het perceel is gelegen binnen het bestemmingsplan 'Buitengebied 2018, 1e herziening', geheel in werking vastgesteld door de Gemeente Bergen (L) per 13-12-2022.

Op het perceel rusten de bestemmingsvlakken:
- 'Agrarisch met waarden'
- 'Waarde - Archeologie 5' 

Verkoopprocedure
Het perceel wordt verkocht ‘per inschrijving’. Het inschrijfformulier met bijbehorende voorwaarden kunnen worden opgevraagd bij de makelaar.

Het volledige ingevulde en ondertekende inschrijfformulier dient uiterlijk 17-12-2025 vóór 13.00 uur ingeleverd te worden bij Arvalis Kantoor Venlo, Villafloraweg 1 Venlo, of per e-mail gericht aan info@arvalis.nl. Binnen 5 werkdagen zal de bieder(s) geïnformeerd worden of het perceel hem gegund is. Gunning geschiedt onder voorbehoud van goedkeuring door verkoper.

Aanvaarding 
In overleg 

Voor meer informatie kunt u contact opnemen met:
John Derix (makelaar)
t: 06 2095 8074
e: jderix@arvalis.nl
of
Jolien Janssen (junior makelaar)
t: 06 5572 0230
e: jwjanssen@arvalis.nl

Arvalis kantoor Venlo
Villafloraweg 1
5928 SZ Venlo
t: 0478 578 257

Kenmerken