Beschrijving

INSCHRIJVING GESLOTEN
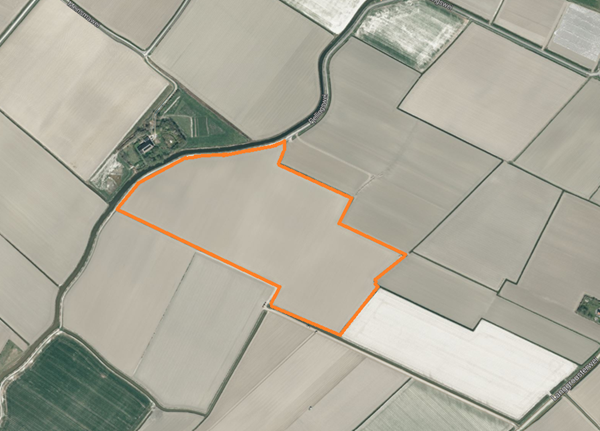
Namens opdrachtgever bij inschrijving te koop aangeboden:
9.38.65 ha akkerbouwgrond.
Het biedingsformulier inclusief bijhorende voorwaarden zijn op te vragen via info@agrivastgoed.nl.
Het biedingsformulier dient uiterlijk 14 november 2025 om 12:00 uur te worden ingeleverd.
Inlichtingen: de heer Eelke Turkstra M.: 06-51260942.
Grondsoort:  De grondsoort is lichte, kalkrijke zavelklei. Ca. 18-25% afslibbaar.
Volgens de grondsoortenkaart uitvoeringsbesluit Meststoffenwet is de grondsoort Bouwland op Klei.
Gewasrotatie/bouwplan afgelopen 4 jaar:
2025: Aardappelen
2024: Gerst
2023: Suikerbieten
2022: Aardappelen
Verkaveling: De kavel bestaat uit 1 perceel.
Drainage: Geheel gedraineerd. In 2013/2014 tussendrainage op 6 meter.
Ontsluiting:Via de openbare weg Fjellingswei.
Bestemming:Volgens het omgevingsplan is de vigerende bestemming:
Bestemmingsplan B?tengebiet Dongeradeel, vastgesteld op 27-06-2013. Binnen dit bestemmingsplan is de bestemming Agrarisch en Waarde – Landschap: verkaveling. Daarnaast is deels de gebiedsaanduiding vrijwaringszone - straalpad van toepassing. Voor de volledige omschrijving en de (overige) van toepassing zijnde omgevingsplan/bestemmingsplan(nen) kunt u www.omgevingswet.overheid.nl raadplegen.
Bodemverontreiniging: De percelen zijn op aangeven van verkoper voor zover bekend niet meer vervuild dan het agrarisch gebruik met zich heeft meegebracht. 
Ondergrondse tank(s): Niet van toepassing.
Jachtrecht: Niet verhuurd.
Herinrichtingsrente: Niet van toepassing.
Erfdienstbaarheid: Niet van toepassing
Beheerovereenkomst: Niet van toepassing
OVERIGE INFORMATIE
Oplevering: Niet geploegd; kopakkers zijn geëgaliseerd. 
Aanvaarding: Per datum aktepassering bij de notaris.
Datum aktepassering bij notaris: Uiterlijk 23 januari 2026 of zoveel eerder of later indien partijen dit nader overeenkomen.
Betaling: Per datum aktepassering.
Lastenverrekening: Per datum aktepassering.
Kosten: De kosten, op de koop vallende, zijn volledig voor rekening van de koper. Hierin zijn o.a. begrepen: de notariskosten, kadasterkosten en de eventueel te betalen overdrachtsbelasting.
Bezichtiging: Op eigen gelegenheid mag het perceel worden bekeken door potentiële kopers. 
Inlichtingen:
De heer Eelke Turkstra 
Agri?vastgoed B.V.
06-51260942 / 058-2849171 of via info@agrivastgoed.nl
Wij adviseren u als gegadigde zich te verdiepen in het bestemmingsplan van de gemeente Noardeast Fryslan, Koningstraat 13 (9101 LP) Dokkum, tel: 0519-298888 en www.noardeast-fryslan.nl en www.omgevingswet.overheid.nl.
Hoewel bij het maken van deze informatie de meest uiterste zorg is nagestreefd kan aan deze informatie geen rechten worden ontleend. Wijzigingen zijn te allen tijde voorbehouden aan de verkoper.

Kenmerken