Beschrijving

Het perceel is gelegen aan de Lage Kuilen in het buitengebied van Nederweert en bestaat uit ca. 01.95.00 ha bos en ca. 01.26.24 cultuurgrond. De cultuurgrond is geschikt voor het gebruik als akkerland danwel als weiland voor paarden of andere hobbydieren. Het bos biedt bovendien mogelijkheden voor mensen die op zoek zijn naar een plek voor houtwinning, vogelspotten, natuurbeleving en ontspanning, of die het als belegging willen gebruiken. Het perceel is goed bereikbaar via de ‘Lage Kuilen’.

Dit object biedt een mooie kans voor zowel agrariërs en beleggers als hobbyisten om dit perceel in eigendom te verwerven.

Kadastrale situatie
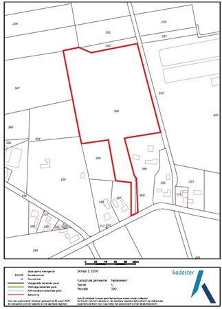
Nederweert, sectie U, nummer 390, 03.18.74 ha
Nederweert, sectie U, nummer 400, 00.02.50 ha
Tezamen groot: ca. 03.21.24 ha

Bestemmingsplan
Het perceel ligt binnen het bestemmingsplan “Buitengebied Nederweert”, vastgesteld door de gemeente Nederweert op 24-11-2009.
Het perceel heeft de bestemmingsvlakken:
- Agrarisch met waarden – Ontwikkelingszone groen
- Natuur
- Waarde - Archeologie
en de gebiedsaanduiding:
- milieuzone – boringsvrije zone

Bodem en gebruik
De grondsoort betreft zandgrond. Het gedeelte bos bestaat voornamelijk uit loof- en dennenhout. In het bos bevindt zich een natuurvijver. De laatste jaren is het perceel cultuurgrond in gebruik geweest als grasland.

Bijzonderheden
Het jachtrecht is niet verhuurd.

Op het perceel is een overkapping aanwezig, geschikt voor het droog stallen van agrarisch materieel en gereedschap. Overname is mogelijk in overleg.
De overkapping past binnen het agrarisch gebruik. Momenteel loopt er contact met de gemeente inzake de verdere formalisering. 

Aanvaarding
In overleg

Vraagprijs
€ 199.000,- k.k.

Voor meer informatie kunt u contact opnemen met:
Timon Dols (makelaar)
t: 06-51225838
e: tdols@arvalis.nl

Arvalis kantoor Roermond
Steegstraat 5
6041 EA Roermond
t: 0475 355700

Kenmerken