Beschrijving

VERKOOP PER INSCHRIJVING!

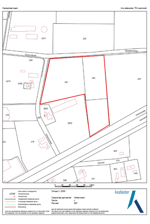
Het perceel van 02.39.70 ha is gelegen in het buitengebied van Nederweert en goed ontsloten middels een verharde weg welke aansluit op de Schansstraat en Breubensteeg alsook de Venloseweg 'N275'. Hierdoor is het perceel uitstekend bereikbaar.

De afgelopen jaren is het perceel in gebruik geweest als landbouwgrond voor de teelt van onder andere maïs, tarwe, aardappelen en bieten.

De directe omgeving wordt gekenmerkt door een agrarisch buitengebied bestaande uit hoofdzakelijk weilanden en akkers. 

Kadastrale gegevens
Nederweert sectie L, nummer 987
Nederweert sectie L, nummer 166
Tezamen groot: 02.39.70 ha

Bodem en gebruik 
De grondsoort betreft zandgrond. Het perceel is als agrarisch aangemerkt en ook altijd zodanig in gebruik geweest.

Teelplan laatste 3 jaren:
2025 Mais
2024 Grasland
2023 Mais 

Verkoopprocedure
Het perceel wordt verkocht ‘bij inschrijving’. Het inschrijfformulier met bijbehorende voorwaarden kunnen worden opgevraagd bij de makelaar.
Het volledige ingevulde en ondertekende inschrijfformulier dient uiterlijk op 5-02-2026 vóór 13.00 uur ingeleverd te worden bij Arvalis Kantoor Roermond, Steegstraat 5, 6041 EA Roermond of per e-mail gericht aan info@arvalismakelaars.nl. Gunning geschiedt onder voorbehoud van goedkeuring door verkoper.

Bestemmingsplan
Het perceel is gelegen in het bestemmingsplan "Buitengebied Nederweert" vastgesteld op 24-11-2009 door de gemeente Nederweert.

Het perceel heeft het bestemmingsvlak:
- Agrarisch 
- Waarde - Archeologie 

Gebiedsaanduidingen:
- milieuzone - Boringsvrije zone

Voor meer informatie kunt u contact opnemen met: 
Timon Dols (makelaar)
 t: 06-51225838 
e: tdols@arvalis.nl

Arvalis kantoor Roermond 
Steegstraat 5 
6041 EA Roermond
 t: 0475-355700

Kenmerken