Beschrijving

Dit perceel van 0.55.71 ha is gelegen in het landelijke buitengebied van Melick, te midden van agrarisch gebied en natuur. De afgelopen jaren is het in gebruik geweest als paardenweide. Op het perceel bevinden zich een gedoogde schuilstal en een waterput, wat het gebruik extra praktisch maakt. 

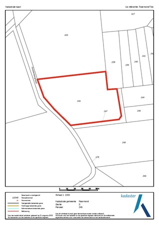
Het perceel is ontsloten via het Smeelenbergerpad, dat aansluit op de Smeelenbergerweg en vervolgens een goede verbinding biedt met de John F. Kennedysingel richting het centrum van Melick.

Dankzij de ligging en voorzieningen is dit perceel uitermate geschikt als weiland en ideaal voor het hobbymatig houden van rundvee, paarden, schapen of ander (klein)vee. Ook voor natuurliefhebbers biedt het volop mogelijkheden: een plek om te tuinieren, tot rust te komen of gewoon te genieten van de landelijke omgeving. 

De directe omgeving bestaat voornamelijk uit weilanden, akkers en natuur, afgewisseld met enkele woonhuizen en maatschappelijk gebruik. 

Kadastrale gegevens
Roermond, sectie S, nummer 47

Bodem en gebruik
De grondsoort betreft zandgrond. Het perceel is als agrarisch aangemerkt en ook altijd zodanig in gebruik geweest.

Bestemmingsplan
Het perceel is gelegen in het bestemmingsplan "Buitengebied Roerdal", vastgesteld op 03-06-2009 door gemeente Roermond.

Het perceel heeft het bestemmingsvlak:
- Agrarisch met waarden - Agrarische functie met landschapswaarden
- Geluidzone - industrie

Aanvaarding
In overleg

Vraagprijs
€ 8,95/m² k.k.

Voor meer informatie kunt u contact opnemen met: 
Timon Dols (makelaar)
t: 06-51225838
e: tdols@arvalis.nl

Arvalis kantoor Roermond
Steegstraat 5
6041 EA Roermond
t: 0475 355700

Kenmerken