Beschrijving

Wij bieden u een perceel cultuurgrond aan, gelegen nabij de Haverterstraat in Koningsbosch. Het perceel is toegankelijk middels een pad vanuit de Haverterstraat en is geschikt voor de teelt van diverse soorten akkerbouw- en tuinbouwgewassen of boomteelt. Doordat het perceel is gelegen nabij de dorpskern, biedt het tevens uitstekende mogelijkheden voor gebruik als weiland voor hobbydieren, zoals paarden of schapen.

De omgeving wordt verder gekenmerkt door een agrarisch buitengebied met landbouwgronden. Dit biedt een mooie kans voor zowel hobbyisten, agrariërs of beleggers om dit perceel in eigendom te verwerven.

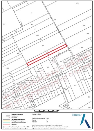
Kadastrale situatie
Echt, sectie P, nummer 18, groot 00.19.35 ha

Bodem en gebruik
De grondsoort betreft lössgrond. Het perceel is de laatste jaren in gebruik geweest voor de teelt van o.a. gerst, cichorei en bieten.

Bestemmingsplan
Het perceel is gelegen in het bestemmingsplan 'Buitengebied', vastgesteld door de gemeente Echt-Susteren per 14-12-2017.

Het perceel heeft de bestemmingsvlakken:
- Agrarisch
- Waarde - Archeologie 3

Aanvaarding
In overleg.

Vraagprijs
Prijs op aanvraag.

Voor meer informatie kunt u contact opnemen met
Nard Driessen (makelaar)
t: 06 4859 2874
e: ndriessen@arvalis.nl

Jolien Janssen (junior makelaar)
t: 06 5572 0230
e: jwjanssen@arvalis.nl

Arvalis kantoor Roermond
Steegstraat 5
6041 EA ROERMOND
t: 0475 355 700

Kenmerken