Beschrijving

Wij bieden u een mooi rechthoekig gelegen perceel cultuurgrond aan, gelegen aan de Dijk in Kessel. Het perceel is toegankelijk middels een verharde weg en is geschikt voor de teelt van diverse soorten akkerbouw- en tuinbouwgewassen of boomteelt. Tevens leent het perceel zich ideaal als dierenweide (paardenweide).

De omgeving wordt gekenmerkt door een agrarisch buitengebied met landbouwgronden en bosgronden. Dit biedt een mooie kans voor zowel agrariërs als beleggers om dit perceel in eigendom te verwerven. Heeft u interesse als belegger? Dan kunnen wij het perceel voor u verpachten aan een agrariër of iemand voor het beweiden van vee / paarden en de volledige verpachting namens u verzorgen.

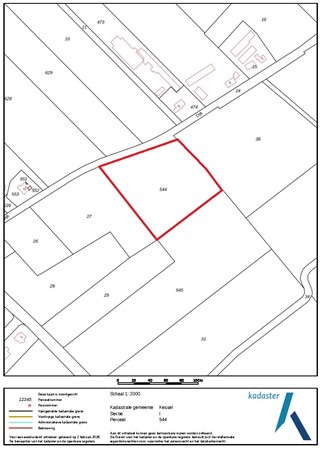
Kadastrale situatie
Kessel, sectie I, nummer 544, groot ca. 01.01.39 ha

Bodem en gebruik
De grondsoort betreft zandgrond. Het perceel is de laatste jaren in gebruik geweest voor de teelt van o.a. graszaad (Engels raaigras), bieten en aardappelen.

Bijzonderheden
Het jachtrecht op het perceel is verhuurd.

Bestemmingsplan
Het perceel is gelegen in het bestemmingsplan 'Buitengebied Peel en Maas', vastgesteld per 24-12-2014.

Het perceel heeft de bestemmingsvlakken:
- Waarde - Archeologie 4
- Agrarisch

en de gebiedsaanduidingen:
- wro zone - wijzigingsgebied 4 go
- reconstructiewetzone - verwevingsgebied

Aanvaarding
In overleg.

Vraagprijs
€ 8,95 per m² k.k.

Voor meer informatie kunt u contact opnemen met
Nard Driessen (makelaar)
t: 06 4859 2874
e: ndriessen@arvalis.nl

Jolien Janssen (junior makelaar)
t: 06 5572 0230
e: jwjanssen@arvalis.nl

Arvalis kantoor Roermond
Steegstraat 5
6041 EA ROERMOND
t: 0475 355 700

Kenmerken