Verkocht: Vrijstaande langgevel woonboerderij met aangebouwde schuur / paardenstal, garage en landbouwgrond op een perceeloppervlakte van circa 2.500 m² (eventueel te koop met een perceeloppervlakte van 01.8...
Bolst 21, 5469 SC Erp
€ 719.000,- k.k.
| Type object | ALV woning |
|---|---|
| Aanvaarding | In overleg |
| Perceeloppervlakte | 2.500 m² |
|---|---|
| Status | Verkocht |
Beschrijving
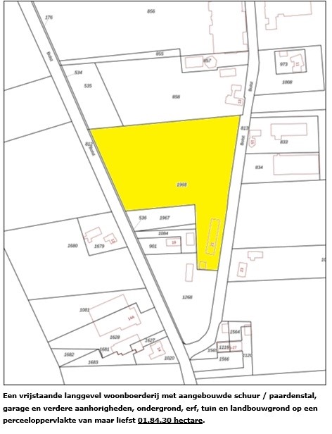
Vrijstaande langgevel woonboerderij met aangebouwde schuur / paardenstal, garage en landbouwgrond op een perceeloppervlakte van circa 2.500 m² (eventueel te koop met een perceeloppervlakte van 01.84.30 hectare).
Indeling
ALGEMEEN
In het buitengebied gelegen prachtige en ruime vrijstaande langgevel woonboerderij met aangebouwde schuur / paardenstal, garage en verdere aanhorigheden, ondergrond, erf, tuin en landbouwgrond op een perceeloppervlakte van circa 2.500 m².
(Eventueel te koop met een totale perceeloppervlakte van maar liefst 01.84.30 hectare ofwel 18.430 m2).
Erp is een dorp in de provincie Noord-Brabant, en maakt sinds de gemeentelijke herindeling in 2017 deel uit van de gemeente Meierijstad. Het ligt in de buurt van grotere plaatsen zoals Veghel en Uden, en heeft een landelijke, gemoedelijke uitstraling.
Erp ligt in een landelijke omgeving, met weilanden, bossen en natuurgebieden in de buurt, ideaal voor wandelen en fietsen.
KADASTRALE GEGEVENS
Gemeente ERP, sectie R, nummer 1968, ter grootte van 01.84.30 ha
Aantekening kadaster:
Publiekrechtelijke beperking in de zin van de Wet kenbaarheid publiekrechtelijke beperkingen onroerende zaken: Gemeentewet: Aanwijzing gemeentelijk monument (voorbescherming, aanwijzing, afschrift).
Betrokken bestuursorgaan: gemeente Meierijstad.
Datum in werking: 15-04-2005.
Afkomstig uit stuk: Hyp4 79211/155. Ingeschreven op 06-10-2020 om 12:29.
Beperking op basis van een overheidsbesluit (vestiging).
BESTEMMING
De woonboerdij is gelegen in het bestemmingsplan / omgevingsplan “Buitengebied Veghel, herziening Bolst 19 - 21”, van de gemeente Meierijstad, vastgesteld door de raad van deze gemeente op 10 april 2025, in werking getreden en onherroepelijk geworden.
Het plangebied is gelegen in het buurtschap Bolst in het buitengebied van de gemeente Meierijstad op een afstand van circa 650 meter van de komgrens van Erp.
Huisperceel: Bolst 21 te Erp:
Bestemmingsvlak:
Wonen.
Waarde – Archeologie 3.
Maximum oppervlakte bijgebouwen (m2):
Maximum oppervlakte bijgebouwen: 253 m2.
Gebiedsaanduidingen:
Overige zone – boringsvrije zone.
Overige zone – dagrecreatie.
Reconstructiewetzone – verwevingsgebied 1.
Vrijwaringszone – radar.
Perceel landbouwgrond:
Krachtens dit bestemmingsplan / omgevingsplan is de onroerende zaak bestemd als:
Bestemmingsvlakken:
Agrarisch.
Waarde – Archeologie 3.
Gebiedsaanduidingen
Boringsvrije zone
Dagrecreatie
Reconstructiewetzone – verwevingsgebied 1.
Vrijwaringszone – radar.
Anterieure overeenkomst Bolst 19-21
Verkoper heeft met de gemeente Meierijstad een overeenkomst gesloten – als bedoeld in artikel 6.24 lid 1 Wro - over het in exploitatie brengen van de locatie plaatselijk bekend als Bolst 19 en Bolst 21 te Erp in de gemeente Meierijstad ten behoeve van de realisatie van een project dat voorziet in een bestemmingswijziging van “Agrarisch” naar “Wonen”.
Het project en de realisatie van het project:
Het project bestaat uit het herbestemmen van de gronden binnen het exploitatiegebied van “Agrarisch” naar “Wonen”. Exploitant draagt zorg voor de landschappelijke inpassing.
Exploitant past het exploitatiegebied landschappelijk in conform de inrichtingsschets (beplantingsplan). Exploitant verplicht zich de landschappelijke inpassing binnen één jaar na het onherroepelijk worden van het bestemmingsplan gerealiseerd te hebben en vervolgens in stand te houden, te herstellen en/of te vervangen.
Landschappelijke inpassing Bolst 19 – 21 Erp:
Verkoper Bolst 21 en eigenaar Bolst 19 zorgen er voor dat op hun kosten de struweelhaag wordt aangelegd.
Er wordt melding gemaakt dat er enkele bomen moeten worden aangeplant op de lege plekken in de straat voor nr 21, dit zal koper op zich nemen op zijn kosten.
NUTSVOROZIENINGEN
• drinkwaterleiding;
• elektriciteitsnet 3 x 25 A;
• aardgas;
• drukriolering en gedeeltelijk eigen put onder overkapping/zitje;
• telefoonnet.
• glasvezel ligt in de berm.
OMSCHRIJVING VAN HET OBJECT
Woonboerderij:
• bouwjaar 1959.
• type vrijstaande woonboerderij.
• de inhoud van het woongedeelte bedraagt circa 800 m³.
• totale inhoud van de woonboerderij bedraagt circa 1.400 m³.
• Energielabel: G.
• opgetrokken in niet geïsoleerde spouwmuren van baksteen.
• dak beschoten met houten delen bij het woongedeelte en gedekt met gebakken pannen.
• kozijnen van hardhout en voorzien van isolerende beglazing.
• twee gashaarden op aardgas in de woonkamer en keuken.
• begane grondvloer van beton, eerste verdiepingsvloer van beton en de tweede verdiepingsvloer niet beloopbaar.
• achter de langgevel woonboerderij ligt een kelder ( onder overkapping/zitje)met een afmeting van circa 2,00 m x circa 5,00 m.
• het achterhuis van de woonboerderij is thans in gebruik als opslag en is voorzien van een zolder; voorzien van betonramen.
• Indeling begane grond:
berging / wasmachineruimte;
toilet (afvoer naar buitenkelder);
badkamer met bad, douche en toilet (1982);
keuken met keukeninrichting (ca. 1989) (afvoer naar buiten kelder);
diepe kelder;
woonkamer;
kantoorruimte;
hal met trapopgang;
hobbyruimte.
• Indeling eerste verdieping:
overloop;
4 slaapkamers met gemetselde wanden, waarvan 3 voorzien van inbouwkasten.
in de tussenruimte bevindt zich een bergzolder.
oude schouwkast.
• Indeling tweede verdieping:
vliering, niet beloopbaar.
Aangebouwde schuur / paardenstal:
• bouwjaar ca. 1980.
• afmetingen circa 10 m x circa 18 m = oppervlakte circa 180 m², goothoogte circa 3,00 m, nokhoogte circa 7,00 m.
• opgetrokken in gedeeltelijk geïsoleerde spouwmuren van baksteen.
• het dak is gedekt met asbestvrije golfplaten en gedeeltelijk voorzien van dakisolatie.
• voorzien van een betonvloer en giergoten naar bezinkput.
• 9 paardenboxen ( boxdeuren voorzien hardhouten planken en asbesthoudende plaat).
• schuurgedeelte achterin voorzien van een overheaddeur (elektrisch bediend) en voorzien van een klinkervloer.
Garage:
• bouwjaar circa 1980.
• afmetingen circa 7,00 m x circa 8,15 m = oppervlakte circa 57 m², goothoogte 2,00 m, nokhoogte 3,00 m.
• opgetrokken in gedeeltelijk geïsoleerde spouwmuren van baksteen.
• het dak is gedekt met gebakken pannen en voorzien van dakisolatie.
• de vloer is voorzien van een betonvloer.
• 2 aparte ruimte en voorzien van 2 elektrisch bedienbare overheaddeuren.
Overkapping/zitje:
• bouwjaar ca. 2008.
• afmetingen circa 4,30 m x 5,50 m = oppervlakte circa 24 m², goothoogte 1,50 m, nokhoogte 3,00 m.
• opgetrokken in steense muren en voor- en zijkanten zijn open.
• het dak is gedekt met gebakken pannen.
• de vloer is voorzien van een betonklinkervloer.
• Gierkelder met laagzand boven en dan de klinkers.
ALGEMEEN
Het object is gelegen in het buitengebied van Erp. Gesitueerd op fietsafstand van het gezellige centrum van Erp; gelegen in de nabijheid van scholen, winkels, park, sportvelden en het buitengebied.
Daarnaast is de dichtstbijzijnde uitvalsweg in de nabije omgeving op circa 7 minuten rijden (via de uitvalswegen N279 / A50 / A2 zijn steden als Eindhoven (ca. 30 min.), ’s-Hertogenbosch (ca. 30 min.) en Helmond (ca. 20 min.) binnen handbereik.
Er zit geen milieuvergunning meer op het object, zodat enkel nog hobbymatig vee kan worden gehouden.
Qua bodem verklaart verkoper enkel agrarisch te hebben gebruikt en niet bekend te zijn
met verontreiniging.
Het object wordt verkocht in de staat zoals die is ten tijde van de bezichtiging, nagenoeg leeg en ontruimd, inclusief eventueel op dat moment nog aanwezige roerende zaken.
LANDBOUWGROND
Tot het object behoort een oppervlakte landbouwgrond van circa 01.59.30 hectaren.
Het is zandgrond met een humushoudende deklaag van ca.30 cm.
Perceel landbouwgrond is recht van vorm, verkaveld en goed ontsloten aan een openbare verharde weg.
Het perceel is niet gedraineerd.
Het perceel verkeert in goede staat van onderhoud.
Beregening is niet mogelijk.
BEZICHTIGING
Mocht u nog vragen hebben of wilt u het object bezichtigen, bel rechtstreeks de heer Ing. J.M.J.M. (Jos) van den Heuvel, te bereiken onder mobiele nummer 06 – 53 39 76 30 of via Arvalis 073 - 217 35 80. Uiteraard kunt u voor het maken van een afspraak en al uw overige vragen ook e-mailen.
AANVAARDING
De aanvaarding is in overleg.
Het object wordt in elk geval afgeleverd vrij van huur, pacht en/of gebruik door derden.
VRAAGPRIJS
De vraagprijs met een perc.opp. van circa 2.500 m2 bedraagt: € 719.000,= k.k.
Eventueel met totaal 01.84.30 ha is bespreekbaar en in overleg met de makelaar.
De koopprijs is kosten koper, dat wil zeggen dat de kosten van de overdracht van de eigendom voor rekening van koper komen. De kosten zijn: overdrachtsbelasting, notaris en kadaster.
Verkoper stelt uitdrukkelijk dat een verkoop niet eerder tot stand komt dan nadat niet alleen over de hoofdzaken (prijs, object), maar ook over de details (oplevering, roerende zaken e.d.) overeenstemming is bereikt. Wij attenderen u erop dat het bieden van de vraagprijs niet automatisch inhoudt dat een koopovereenkomst tot stand komt.
In het buitengebied gelegen prachtige en ruime vrijstaande langgevel woonboerderij met aangebouwde schuur / paardenstal, garage en verdere aanhorigheden, ondergrond, erf, tuin en landbouwgrond op een perceeloppervlakte van circa 2.500 m².
(Eventueel te koop met een totale perceeloppervlakte van maar liefst 01.84.30 hectare ofwel 18.430 m2).
Erp is een dorp in de provincie Noord-Brabant, en maakt sinds de gemeentelijke herindeling in 2017 deel uit van de gemeente Meierijstad. Het ligt in de buurt van grotere plaatsen zoals Veghel en Uden, en heeft een landelijke, gemoedelijke uitstraling.
Erp ligt in een landelijke omgeving, met weilanden, bossen en natuurgebieden in de buurt, ideaal voor wandelen en fietsen.
KADASTRALE GEGEVENS
Gemeente ERP, sectie R, nummer 1968, ter grootte van 01.84.30 ha
Aantekening kadaster:
Publiekrechtelijke beperking in de zin van de Wet kenbaarheid publiekrechtelijke beperkingen onroerende zaken: Gemeentewet: Aanwijzing gemeentelijk monument (voorbescherming, aanwijzing, afschrift).
Betrokken bestuursorgaan: gemeente Meierijstad.
Datum in werking: 15-04-2005.
Afkomstig uit stuk: Hyp4 79211/155. Ingeschreven op 06-10-2020 om 12:29.
Beperking op basis van een overheidsbesluit (vestiging).
BESTEMMING
De woonboerdij is gelegen in het bestemmingsplan / omgevingsplan “Buitengebied Veghel, herziening Bolst 19 - 21”, van de gemeente Meierijstad, vastgesteld door de raad van deze gemeente op 10 april 2025, in werking getreden en onherroepelijk geworden.
Het plangebied is gelegen in het buurtschap Bolst in het buitengebied van de gemeente Meierijstad op een afstand van circa 650 meter van de komgrens van Erp.
Huisperceel: Bolst 21 te Erp:
Bestemmingsvlak:
Wonen.
Waarde – Archeologie 3.
Maximum oppervlakte bijgebouwen (m2):
Maximum oppervlakte bijgebouwen: 253 m2.
Gebiedsaanduidingen:
Overige zone – boringsvrije zone.
Overige zone – dagrecreatie.
Reconstructiewetzone – verwevingsgebied 1.
Vrijwaringszone – radar.
Perceel landbouwgrond:
Krachtens dit bestemmingsplan / omgevingsplan is de onroerende zaak bestemd als:
Bestemmingsvlakken:
Agrarisch.
Waarde – Archeologie 3.
Gebiedsaanduidingen
Boringsvrije zone
Dagrecreatie
Reconstructiewetzone – verwevingsgebied 1.
Vrijwaringszone – radar.
Anterieure overeenkomst Bolst 19-21
Verkoper heeft met de gemeente Meierijstad een overeenkomst gesloten – als bedoeld in artikel 6.24 lid 1 Wro - over het in exploitatie brengen van de locatie plaatselijk bekend als Bolst 19 en Bolst 21 te Erp in de gemeente Meierijstad ten behoeve van de realisatie van een project dat voorziet in een bestemmingswijziging van “Agrarisch” naar “Wonen”.
Het project en de realisatie van het project:
Het project bestaat uit het herbestemmen van de gronden binnen het exploitatiegebied van “Agrarisch” naar “Wonen”. Exploitant draagt zorg voor de landschappelijke inpassing.
Exploitant past het exploitatiegebied landschappelijk in conform de inrichtingsschets (beplantingsplan). Exploitant verplicht zich de landschappelijke inpassing binnen één jaar na het onherroepelijk worden van het bestemmingsplan gerealiseerd te hebben en vervolgens in stand te houden, te herstellen en/of te vervangen.
Landschappelijke inpassing Bolst 19 – 21 Erp:
Verkoper Bolst 21 en eigenaar Bolst 19 zorgen er voor dat op hun kosten de struweelhaag wordt aangelegd.
Er wordt melding gemaakt dat er enkele bomen moeten worden aangeplant op de lege plekken in de straat voor nr 21, dit zal koper op zich nemen op zijn kosten.
NUTSVOROZIENINGEN
• drinkwaterleiding;
• elektriciteitsnet 3 x 25 A;
• aardgas;
• drukriolering en gedeeltelijk eigen put onder overkapping/zitje;
• telefoonnet.
• glasvezel ligt in de berm.
OMSCHRIJVING VAN HET OBJECT
Woonboerderij:
• bouwjaar 1959.
• type vrijstaande woonboerderij.
• de inhoud van het woongedeelte bedraagt circa 800 m³.
• totale inhoud van de woonboerderij bedraagt circa 1.400 m³.
• Energielabel: G.
• opgetrokken in niet geïsoleerde spouwmuren van baksteen.
• dak beschoten met houten delen bij het woongedeelte en gedekt met gebakken pannen.
• kozijnen van hardhout en voorzien van isolerende beglazing.
• twee gashaarden op aardgas in de woonkamer en keuken.
• begane grondvloer van beton, eerste verdiepingsvloer van beton en de tweede verdiepingsvloer niet beloopbaar.
• achter de langgevel woonboerderij ligt een kelder ( onder overkapping/zitje)met een afmeting van circa 2,00 m x circa 5,00 m.
• het achterhuis van de woonboerderij is thans in gebruik als opslag en is voorzien van een zolder; voorzien van betonramen.
• Indeling begane grond:
berging / wasmachineruimte;
toilet (afvoer naar buitenkelder);
badkamer met bad, douche en toilet (1982);
keuken met keukeninrichting (ca. 1989) (afvoer naar buiten kelder);
diepe kelder;
woonkamer;
kantoorruimte;
hal met trapopgang;
hobbyruimte.
• Indeling eerste verdieping:
overloop;
4 slaapkamers met gemetselde wanden, waarvan 3 voorzien van inbouwkasten.
in de tussenruimte bevindt zich een bergzolder.
oude schouwkast.
• Indeling tweede verdieping:
vliering, niet beloopbaar.
Aangebouwde schuur / paardenstal:
• bouwjaar ca. 1980.
• afmetingen circa 10 m x circa 18 m = oppervlakte circa 180 m², goothoogte circa 3,00 m, nokhoogte circa 7,00 m.
• opgetrokken in gedeeltelijk geïsoleerde spouwmuren van baksteen.
• het dak is gedekt met asbestvrije golfplaten en gedeeltelijk voorzien van dakisolatie.
• voorzien van een betonvloer en giergoten naar bezinkput.
• 9 paardenboxen ( boxdeuren voorzien hardhouten planken en asbesthoudende plaat).
• schuurgedeelte achterin voorzien van een overheaddeur (elektrisch bediend) en voorzien van een klinkervloer.
Garage:
• bouwjaar circa 1980.
• afmetingen circa 7,00 m x circa 8,15 m = oppervlakte circa 57 m², goothoogte 2,00 m, nokhoogte 3,00 m.
• opgetrokken in gedeeltelijk geïsoleerde spouwmuren van baksteen.
• het dak is gedekt met gebakken pannen en voorzien van dakisolatie.
• de vloer is voorzien van een betonvloer.
• 2 aparte ruimte en voorzien van 2 elektrisch bedienbare overheaddeuren.
Overkapping/zitje:
• bouwjaar ca. 2008.
• afmetingen circa 4,30 m x 5,50 m = oppervlakte circa 24 m², goothoogte 1,50 m, nokhoogte 3,00 m.
• opgetrokken in steense muren en voor- en zijkanten zijn open.
• het dak is gedekt met gebakken pannen.
• de vloer is voorzien van een betonklinkervloer.
• Gierkelder met laagzand boven en dan de klinkers.
ALGEMEEN
Het object is gelegen in het buitengebied van Erp. Gesitueerd op fietsafstand van het gezellige centrum van Erp; gelegen in de nabijheid van scholen, winkels, park, sportvelden en het buitengebied.
Daarnaast is de dichtstbijzijnde uitvalsweg in de nabije omgeving op circa 7 minuten rijden (via de uitvalswegen N279 / A50 / A2 zijn steden als Eindhoven (ca. 30 min.), ’s-Hertogenbosch (ca. 30 min.) en Helmond (ca. 20 min.) binnen handbereik.
Er zit geen milieuvergunning meer op het object, zodat enkel nog hobbymatig vee kan worden gehouden.
Qua bodem verklaart verkoper enkel agrarisch te hebben gebruikt en niet bekend te zijn
met verontreiniging.
Het object wordt verkocht in de staat zoals die is ten tijde van de bezichtiging, nagenoeg leeg en ontruimd, inclusief eventueel op dat moment nog aanwezige roerende zaken.
LANDBOUWGROND
Tot het object behoort een oppervlakte landbouwgrond van circa 01.59.30 hectaren.
Het is zandgrond met een humushoudende deklaag van ca.30 cm.
Perceel landbouwgrond is recht van vorm, verkaveld en goed ontsloten aan een openbare verharde weg.
Het perceel is niet gedraineerd.
Het perceel verkeert in goede staat van onderhoud.
Beregening is niet mogelijk.
BEZICHTIGING
Mocht u nog vragen hebben of wilt u het object bezichtigen, bel rechtstreeks de heer Ing. J.M.J.M. (Jos) van den Heuvel, te bereiken onder mobiele nummer 06 – 53 39 76 30 of via Arvalis 073 - 217 35 80. Uiteraard kunt u voor het maken van een afspraak en al uw overige vragen ook e-mailen.
AANVAARDING
De aanvaarding is in overleg.
Het object wordt in elk geval afgeleverd vrij van huur, pacht en/of gebruik door derden.
VRAAGPRIJS
De vraagprijs met een perc.opp. van circa 2.500 m2 bedraagt: € 719.000,= k.k.
Eventueel met totaal 01.84.30 ha is bespreekbaar en in overleg met de makelaar.
De koopprijs is kosten koper, dat wil zeggen dat de kosten van de overdracht van de eigendom voor rekening van koper komen. De kosten zijn: overdrachtsbelasting, notaris en kadaster.
Verkoper stelt uitdrukkelijk dat een verkoop niet eerder tot stand komt dan nadat niet alleen over de hoofdzaken (prijs, object), maar ook over de details (oplevering, roerende zaken e.d.) overeenstemming is bereikt. Wij attenderen u erop dat het bieden van de vraagprijs niet automatisch inhoudt dat een koopovereenkomst tot stand komt.
Kenmerken
| Overdracht | |
|---|---|
| Referentienummer | VGP3900698 |
| Vraagprijs | € 719.000,- k.k. |
| Status | Verkocht |
| Aanvaarding | In overleg |
| Laatste wijziging | Maandag 22 september 2025 |
| Bouw | |
|---|---|
| Type object | ALV woning |
| Grondsoort | Zand |
| Soort bouw | Bestaande bouw |
| Bouwperiode | 1959 |
| Oppervlaktes en inhoud | |
|---|---|
| Perceeloppervlakte | 25 a |
| Inhoud | 800 m³ |
| Locatie | |
|---|---|
| Ligging | Aan rustige weg Buiten bebouwde kom |
| Kadastrale gegevens | |
|---|---|
| Kadastrale aanduiding | ERP R 1968 |
| Perceeloppervlakte | 2.500 m² |
| Omvang | Deel perceel |
| Eigendomsituatie | Eigen grond |