Beschrijving

Wij bieden u een mooi vlak gelegen perceel cultuurgrond aan, gelegen aan de Landweerstraat in Buggenum. Het perceel is goed toegankelijk middels een oprit vanuit zowel de Landweerstraat als de Eggelenweg. Het perceel is geschikt voor de teelt van diverse soorten akkerbouw- en tuinbouwgewassen of voor de boomteelt. Het perceel is voor biologische akkerbouw- / tuinbouw in gebruik en voor biologische teelten Skal gekwalificeerd.
Op het perceel is een beregeningsput gelegen (niet geregistreerd).

De omgeving kenmerkt zich door een agrarisch buitengebied met agrarische gronden. Een mooie kans voor de agrariër of belegger om dit perceel in eigendom te verwerven. Als u interesse heeft als belegger bieden wij de mogelijkheid om het perceel aan een agrariër te verpachten en dit geheel van verpachten voor u te verzorgen.

Kadastrale situatie
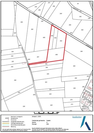
Gemeente Haelen, sectie G, nummer 352, 353, 406 en 408, tezamen groot ca. 00.95.65 ha

Bestemmingsplan
Het perceel is gelegen in het 'Reparatie- en veegplan Buitengebied Leudal 2016', vastgesteld per 04-09-2019.

Het perceel heeft de bestemmingsvlakken: 
'Agrarisch met waarden - 3'
'Waarde - Archeologie 5'

Gebiedsaanduidingen:
'overige zone - openheid'
'overige zone - kernrandzone'
'milieuzone - boringsvrije zone'

Bodem en gebruik
De grondsoort betreft kleigrond. Het perceel is de laatste jaren in gebruik geweest voor de teelt van:
2024: maïs
2023: pompoen
2022: maïs

Bijzonderheden
- Het perceel is biologisch in gebruik sinds 2017.
- Het jachtrecht op het perceel is verhuurd.
- Op het perceel rust een herinrichtingsrente, totaal € 49,52 met eindjaar 2026.
- Verkoper is bereidt om het perceel eventueel nog te pachten.

Aanvaarding
In overleg

Vraagprijs
Op aanvraag.

Voor meer informatie kunt u contact opnemen met
Nard Driessen (makelaar)
t: 06 4859 2874
e: ndriessen@arvalis.nl

Arvalis kantoor Roermond
Steegstraat 5
6041 EA ROERMOND
t: 0475 355 700

Kenmerken